開啟輔助訪問
 找回密碼
 立即加入

[會員必看!]台灣颱風論壇基本規則 attach_img

台灣颱風論壇─基本規則 論壇討論區規則:論壇規則共計十四條。 第一條、投票發起規則:投票起訖時間最長建議為三個月,管理員有提前結束、延長或終止之權利。(投票發起人可向執行長ben811018詢問) 第二條、圖 ...

94S attach_img agree new

基本資料 編號    :94 S 擾動編號日期:2026 年 03 月 11 日 20 時 撤編日期  :2026 年 03 月 00 日 00 時 94S INVEST 260311 1200 8.7S 54.6E SHEM 15 0

95W JMA:LPA 低緯擾動 attach_img agree new

基本資料 編號    :95 W 擾動編號日期:2026 年 03 月 04 日 14 時 撤編日期  :2026 年 03 月 00 日 00 時 95W INVEST 260304 0600 4.9N 152.5E WPAC 15 1009

95S attach_img agree new

基本資料 編號    :95 S 擾動編號日期:2026 年 03 月 11 日 20 時 撤編日期  :2026 年 03 月 00 日 00 時 95S INVEST 260311 1200 17.0S 41.4E SHEM 15 0 ...

97W attach_img agree new

基本資料 編號    :97 W 擾動編號日期:2026 年 03 月 11 日 08 時 撤編日期  :2026 年 03 月 00 日 00 時 97W INVEST 260311 0000 17.1N 150.0E WPAC 15 0 ...

96W attach_img agree new

基本資料 編號    :96 W 擾動編號日期:2026 年 03 月 09 日 08 時 撤編日期  :2026 年 03 月 00 日 00 時 96W INVEST 260309 0000 15.4N 148.1E WPAC 15 0 ...

24P 無緣命名 attach_img agree new

基本資料 編號    :91 P 擾動編號日期:2026 年 02 月 28 日 08 時 撤編日期  :2026 年 03 月 00 日 00 時 91P INVEST 260228 0000 17.8S 155.3E SHEM 15 1009 ...

30U(93S) TCFA attach_img agree new

基本資料 編號    :93 S 擾動編號日期:2026 年 03 月 02 日 14 時 撤編日期  :2026 年 03 月 00 日 00 時 93S INVEST 260306 0000 16.5S 122.0E SHEM 15 1009 ...

31U(92P) 北領地 attach_img agree new

基本資料 編號    :92 P 擾動編號日期:2026 年 03 月 02 日 08 時 撤編日期  :2026 年 03 月 00 日 00 時 92P INVEST 260302 0000 16.7S 140.3E SHEM 15 1009 ...

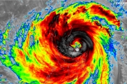
22S.Horacio 快速增強 升格強烈熱帶氣旋 attach_img recommend agree recommend new

強烈熱帶氣旋 編號:11-20252026 ( 22 S ) 名稱:Horacio 基本資料 擾動編號日期:2026 年 02 月 13 日 14 時 JTWC升格日期:2026 年 02 月 20 日 08 時 命名日期  :2026 年 02 月 20 日 14 時 撤編日期 ...

90S attach_img agree new

基本資料 編號    :90 S 擾動編號日期:2026 年 02 月 27 日 20 時 撤編日期  :2026 年 03 月 00 日 00 時 90S INVEST 260227 1200 11.7S 99.7E SHEM 20 1004 ...

98P attach_img agree new

基本資料 編號    :98 P 擾動編號日期:2026 年 02 月 24 日 20 時 撤編日期  :2026 年 02 月 00 日 00 時 98P INVEST 260224 1200 13.4S 170.4E SHEM 15 1009 ...

提醒各位新舊會員 請善用點評功能 attach_img recommend recommend new

近日許多新進會員加入論壇,提醒各位新舊會員,依據論壇規則第13條, 熱帶氣旋版發文若字數不足請善用點評功能,以維持論壇討論品質,感謝大家配合。                              ...

擾動&氣旋發帖規則(2026/02/01 更新) attach_img recommend recommend new

此規則為台灣颱風論壇[擾動帖開帖規則]之延伸 -------------------------------------------------------------------------------------------- 高亮顏色原則: 本段適用於版主,會員請忽略。 擾動帖:紅色(適 ...

擾動帖開帖規則 attach_img recommend agree recommend new

擾動帖開帖規則,請務必遵守,違反者將一律刪除,請各位會員共同配合。 生效時間: 自發佈起開始生效。 開帖需符合下列要件之一: 1. 熱帶擾動需被NRL或FNMOC編號。 2. 如果 NRL 或FNMOC未對熱帶雲團進行編號,但 ...

還可輸入 80 個字符
您需要登錄後才可以發帖 登錄 | 立即加入

本版積分規則

本平台僅供學術討論之用,預報應以氣象局為準

威普網站虛擬主機贊助公司

臺灣第一個天氣類型社群平台 即時天氣資訊、精準颱風動態

線上客服
FB傳送訊息
廣告行銷
精準行銷 物超所值
官方粉專
發佈 返回頂部 返回版塊