開啟輔助訪問
 找回密碼
 立即加入

SX再分析 1979~2017 西太 (更新)

簽到天數: 582 天

[LV.9]以壇為家II

蜜露|2018-3-29 20:10 | 顯示全部樓層
本帖最後由 蜜露 於 2018-5-27 11:23 編輯

SX再分析法完成,這是從以前的實測數據和KZC、HX等分析的再分析推估。民間機構NRL(美國海軍研究實驗室)的分析加強版。
(其實這已經是現代最接近颱風強度的一種)

79-89.jpg

(先更新80年代)
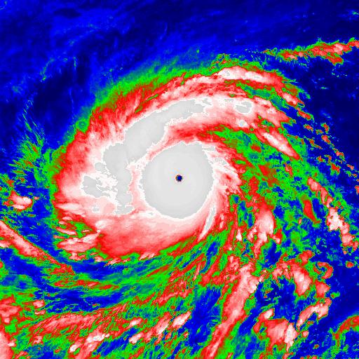
GMS389071507.198908.jpg
(1989 Typhoon Gordon)

回復

使用道具 舉報

簽到天數: 3749 天

[LV.Master]伴壇終老

開梅|2018-3-30 00:53 | 顯示全部樓層
哇,各式估算結果表都出來,我都不知要相信誰的?不過最後一個SX的,我是有點震驚,離我長年做估算和觀察差很多,感覺他在氣壓值只是意思意思稍做小幅度變動,變動大的是颱風風速,大家都加分了,但彼此實力差距也加大了
回復

使用道具 舉報

簽到天數: 582 天

[LV.9]以壇為家II

蜜露|2018-4-10 17:29 | 顯示全部樓層
本帖最後由 蜜露 於 2018-5-27 11:28 編輯


更新了90年代的颱風 .
90-99.jpg

GMS598101318.199810.jpg
(1998 Typhoon Zeb)


有的颱風氣壓可能比較低 (920 -)  但只是個Cat.4  例如 : (1991愛美 , 1982安迪 , 2003伊布都) 這類氣壓很低的針眼颱風不算列入.
同類的也只有提姆上榜 .

同樣也是如此 (920 -) 只是Cat.4情況下  例如2017蘭恩) 不算列入.

如果是氣壓比較高 (925 +)  卻有Cat.5 例如 : (2016納坦 , 1982尼爾森 , 1979艾莉絲 , 2018鯉魚(可能無或有)) 這類颱風也沒有列入.
除非920可以

氣壓最高的Cat.5 是1982尼爾森 930hPa  140kts (2月氣壓背景高的小核心颱風 小眼~針眼之間)
氣壓最低的Cat.4 是1991愛美 , 2003伊布都 , 2017蘭恩  915hPa 135kts (前兩個是針眼 ,第三個是巨眼+實測結果)

這些是不列入的舉例






回復

使用道具 舉報

簽到天數: 582 天

[LV.9]以壇為家II

蜜露|2018-5-5 21:51 | 顯示全部樓層
本帖最後由 蜜露 於 2018-5-27 11:29 編輯


00年代的颱風,可能是科技時代颱風平均強度最弱的時代.

00-09.jpg
GOE904061518.200406.jpg
(2004 Typhoon Dianmu)




回復

使用道具 舉報

簽到天數: 582 天

[LV.9]以壇為家II

蜜露|2018-5-26 21:28 | 顯示全部樓層
本帖最後由 蜜露 於 2018-5-27 11:54 編輯



10年代的颱風 , 回到最強的年代。


10-17.jpg


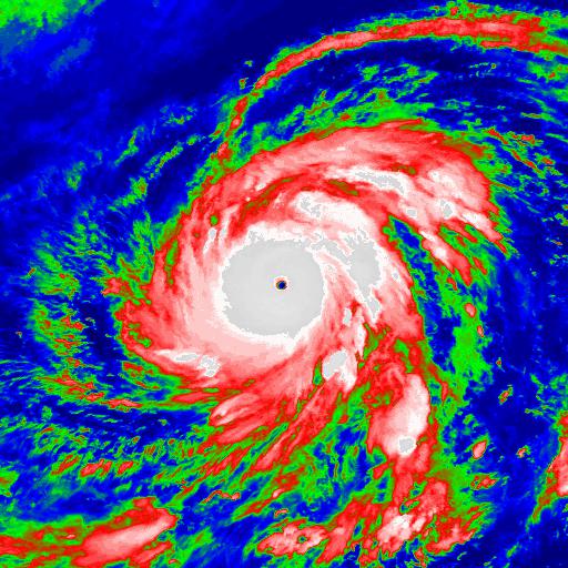
MTS113110718.201330.jpg

(2013 Typhoon Haiyan)


HMW816070603.201601.jpg

(2016 Typhoon Nepartak)


最後的分析結果 , 有7個颱風的分析可能要高過1979 Typhoon Tip

西太平洋 (1979~2017)
2016 Typhoon Nepartak   182kts
2013 Typhoon Haiyan     182kts
2004 Typhoon Dianmu     181kts
1998 Typhoon Zeb        181kts
2016 Typhoon Meranti    179kts
2010 Typhoon Megi       178kts
1989 Typhoon Gordon     177kts

可能還會做修正的颱風, Megi、Meranti、Gordon、Yuri、Noul



東太平洋 (2000~2017)
2015 Hurricane Patricia 184kts
2009 Hurricane Rick     167kts
2014 Hurricane Marie    153kts
2002 Hurricane Elida    151kts

2010 Hurricane Celia    150kts

點評

東太平洋 (2000~2017) 2015 Hurricane Patricia 184kts 2009 Hurricane Rick 167kts 2014 Hurricane Marie 153kts 2002 Hurricane Elida 151kts 2010 Hurricane Celia 150kts 我的分析已採用SX分析方  詳情 回復 發表於 2018-5-27 12:54
回復

使用道具 舉報

簽到天數: 1874 天

[LV.Master]伴壇終老

typhoonman|2018-5-27 12:54 | 顯示全部樓層
本帖最後由 typhoonman 於 2018-5-27 13:00 編輯
蜜露 發表於 2018-5-26 21:28
10年代的颱風 , 回到最強的年代。

東太平洋 (2000~2017)
2015 Hurricane Patricia 184kts
2009 Hurricane Rick     167kts
2014 Hurricane Marie    153kts
2002 Hurricane Elida    151kts
2010 Hurricane Celia    150kts

我的分析已採用SX分析方式所得結果為:

2015 Hurricane Patricia 185kts
2009 Hurricane Rick     165kts
2014 Hurricane Marie    155kts
2002 Hurricane Elida    145kts
2010 Hurricane Celia    150kts


另外1997 Hurricane Linda雖然不在2000年以後的名單上,但還是分析了一番,結果為:175kts

點評

通常熱帶氣旋有熱塔出現時,代表其能量非常的集中且底層不差,只是差別1997年當時NHC有沒有所謂的微波掃描就不得而知了。  發表於 2018-5-27 14:49
agora只能參考用,我找過琳達其他雲圖,發現極盛期時可見光雲圖有出現高聳入天的熱塔,其高度不亞於2016莫蘭蒂的高度,惟獨巔峰期比莫蘭蒂略短  發表於 2018-5-27 14:46
美國沒有agora 不打算評價  發表於 2018-5-27 13:19
Linda也是165 , 底層和Rick不是一個檔次  發表於 2018-5-27 13:18
Linda應該沒有這麼強.  發表於 2018-5-27 13:10
回復

使用道具 舉報

簽到天數: 582 天

[LV.9]以壇為家II

蜜露|2018-5-27 21:49 | 顯示全部樓層
本帖最後由 蜜露 於 2018-5-27 21:50 編輯



其實熱塔和底層強度沒有直接關係的.  
熱塔在猛爆的Cat.4就有可能有了.


1997 颶風Linda  底層190成環不過才4分之1或3分之1而已 (85H)


雖然在NRL當時的版本是200- 才是紅色  
19970912.0502.f10.ir.x.LINDA.x.jpg

19970912.0502.f10.85h.x.LINDA.x.jpg

(表格可以看出, Linda實際190只有褐色一部分而已, 整體還不敵2017颶風Irma,算是一般的頂級颱風)


同樣如果拿175kts的颱風Megi  (85H、91H)  (Megi是190成環的)  


從底層評分來看, Linda和同年的颱風Keith  兩者底層有些相似. 半圈200 ,  實際只有1角是190環  評分是165~170kts之間
(Linda風眼還算挺一般的,高清是一般藍綠)


175kts給太高了 (南太風王也不過才175kts)


175kts是史詩級的概念 .  
史詩級是什麼概念呢?


也就是稀有的、神話的意思。


Linda在90年代配不到Zeb、Angela的強度。




評分

參與人數 1水氣能量 +20 收起 理由
開梅 + 20

查看全部評分

回復

使用道具 舉報

簽到天數: 3749 天

[LV.Master]伴壇終老

開梅|2018-5-29 12:58 | 顯示全部樓層
好可惜啊!在1997年後的幾年裡,琳達颶風一直是東太平洋史詩神話般的存在,網上一直吹捧,但隨著時光消逝他也開始退燒,2009年里克颶風的出現,前幾年又來了個派翠莎颶風奪佔了王位,現在琳達颶風似乎變成天上謫仙,落入凡間了

點評

SX的話 , Keith是風王 氣壓最低. 風速和97並列  發表於 2018-7-31 21:01
確定97年風王是帕卡?真不起眼哪!外來客登堂入室的感覺,更何況其貌不揚  發表於 2018-6-2 22:22
97硬要選的話 , Paka才是風王. . 熱塔爆發=/=強度  發表於 2018-6-2 15:11
可能利奇馬都要比1997的強一點  發表於 2018-6-2 14:51
跟97那些都差不多  發表於 2018-6-2 10:24
幾個月前學霸剛好有討論過Linda , 大概和97年那四個差不多. 放到現在應該只有三巴的強度. 一般的頂超  發表於 2018-5-29 21:13
回復

使用道具 舉報

快速回覆
您需要登錄後才可以回帖 登錄 | 立即加入

本版積分規則

本平台僅供學術討論之用,預報應以氣象局為準

威普網站虛擬主機贊助公司

臺灣第一個天氣類型社群平台 即時天氣資訊、精準颱風動態

線上客服
FB傳送訊息
廣告行銷
精準行銷 物超所值
官方粉專
發佈 快速回復 返回頂部 返回列表