開啟輔助訪問
 找回密碼
 立即加入

05L.Dorian 年度風王 巔峰強襲巴哈馬群島

簽到天數: 1650 天

[LV.Master]伴壇終老

老農民版夜神月|2019-8-29 08:11 | 顯示全部樓層
本帖最後由 老農民版夜神月 於 2019-8-29 08:55 編輯

實測支持,NHC28/21Z報中升格Dorian為一級颶風,定強70節
WTNT45 KNHC 282044
TCDAT5

Hurricane Dorian Discussion Number  18
NWS National Hurricane Center Miami FL       AL052019
500 PM AST Wed Aug 28 2019

The cloud pattern has become better organized with a hint of an eye
on high resolution satellite imagery and plenty of convective bands.
In addition, earlier data from a reconnaissance plane and surface
observations from St. Thomas as Dorian moved by yield an initial
intensity of 70 kt.  Now that the hurricane has developed an inner
core with a 15 to 20 n mi eye, strengthening is more likely. Given
the favorable environment of warm waters and low shear prevailing in
the western Atlantic, the NHC forecast calls for a marked
intensification, and brings Dorian to category 3 intensity in 72
hours, and keeps it at that intensity until landfall. This
forecast is very close to the intensity consensus, the HCCA model,
and the SHIPS guidance.

Satellite and earlier reconnaissance plane fixes indicate that
Dorian has been moving toward the northwest or 320 degrees at 12
kt.  The cyclone is heading toward a weakness in the Atlantic
subtropical ridge, and this northwest motion should continue for the
next 24 to 48 hours. However, after that time, all the global models
continue to build a strong ridge over the western Atlantic, and this
flow pattern should force Dorian to turn more to the west-northwest
toward Florida. All indications are that by this Labor Day weekend,
a powerful hurricane will be near or over the Florida peninsula. The
new NHC track forecast is a little bit to the south of the previous
one, given that global models have a stronger ridge to the north and
the track models show more of a westward motion.  Users are reminded
not to focus on the exact forecast track, as the average 5-day track
error is around 200 miles.

Key Messages:

1. Dangerous winds will continue in the Virgin Islands, Culebra,
Vieques, and portions of Puerto Rico during the next few hours.
Heavy rainfall over portions of Puerto Rico and the Virgin Islands
could produce flash flooding through Thursday morning.

2. The risk of dangerous storm surge and hurricane-force winds later
this week and this weekend continues to increase in the central and
northwestern Bahamas and along the Florida east coast, although it
is too soon to determine where these hazards will occur. Residents
in these areas should ensure they have their hurricane plan in place
and not focus on the exact forecast track of Dorian's center.

3. Heavy rains are expected to occur over portions of the Bahamas,
Florida, and elsewhere in the southeastern United States later this
week and into early next week.

FORECAST POSITIONS AND MAX WINDS

INIT  28/2100Z 18.8N  65.5W   70 KT  80 MPH
12H  29/0600Z 20.1N  66.6W   75 KT  85 MPH
24H  29/1800Z 22.0N  68.0W   80 KT  90 MPH
36H  30/0600Z 23.8N  69.3W   85 KT 100 MPH
48H  30/1800Z 25.2N  71.1W   90 KT 105 MPH
72H  31/1800Z 26.8N  75.0W  100 KT 115 MPH
96H  01/1800Z 27.7N  79.0W  100 KT 115 MPH
120H  02/1800Z 28.2N  81.5W   85 KT 100 MPH...INLAND

$$
Forecaster Avila

000122_5day_cone_no_line_and_wind.png 20190829.0000.goes-16.ir.05L.DORIAN.65kts.997mb.18.3N.65.1W.100pc.jpg
20190828.2120.noaa19.89rgb.05L.DORIAN.65kts.997mb.18.3N.65.1W.100pc.jpg 20190828.2234.coriolis.37v.05L.DORIAN.65kts.997mb.18.3N.65.1W.070pc.jpg
GOES00202019241k2WRdP.jpg

回復

使用道具 舉報

簽到天數: 1650 天

[LV.Master]伴壇終老

老農民版夜神月|2019-8-30 19:28 | 顯示全部樓層
NHC30/09Z一報定強已來到了C2,90節,後期預測路徑變化不大,將侵襲美國佛羅里達州,預測巔峰則再度上調為C4,120節
WTNT25 KNHC 300853
TCMAT5

HURRICANE DORIAN FORECAST/ADVISORY NUMBER 24
NWS NATIONAL HURRICANE CENTER MIAMI FL AL052019
0900 UTC FRI AUG 30 2019

CHANGES IN WATCHES AND WARNINGS WITH THIS ADVISORY...

THE GOVERNMENT OF THE BAHAMAS HAS ISSUED A HURRICANE WATCH FOR THE
NORTHWESTERN BAHAMAS.

SUMMARY OF WATCHES AND WARNINGS IN EFFECT...

A HURRICANE WATCH IS IN EFFECT FOR...
* NORTHWESTERN BAHAMAS

A HURRICANE WATCH MEANS THAT HURRICANE CONDITIONS ARE POSSIBLE
WITHIN THE WATCH AREA. A WATCH IS TYPICALLY ISSUED 48 HOURS
BEFORE THE ANTICIPATED FIRST OCCURRENCE OF TROPICAL-STORM-FORCE
WINDS...CONDITIONS THAT MAKE OUTSIDE PREPARATIONS DIFFICULT OR
DANGEROUS.

INTERESTS IN SOUTHERN AND CENTRAL FLORIDA SHOULD MONITOR THE
PROGRESS OF DORIAN.

HURRICANE CENTER LOCATED NEAR 23.8N 69.1W AT 30/0900Z
POSITION ACCURATE WITHIN 20 NM

PRESENT MOVEMENT TOWARD THE NORTHWEST OR 320 DEGREES AT 10 KT

ESTIMATED MINIMUM CENTRAL PRESSURE 979 MB
MAX SUSTAINED WINDS 90 KT WITH GUSTS TO 110 KT.
64 KT....... 20NE 15SE 10SW 15NW.
50 KT....... 40NE 30SE 20SW 20NW.
34 KT....... 90NE 70SE 40SW 60NW.
12 FT SEAS.. 90NE 90SE 60SW 90NW.
WINDS AND SEAS VARY GREATLY IN EACH QUADRANT. RADII IN NAUTICAL
MILES ARE THE LARGEST RADII EXPECTED ANYWHERE IN THAT QUADRANT.

REPEAT...CENTER LOCATED NEAR 23.8N 69.1W AT 30/0900Z
AT 30/0600Z CENTER WAS LOCATED NEAR 23.5N 68.8W

FORECAST VALID 30/1800Z 24.8N 70.3W
MAX WIND 100 KT...GUSTS 120 KT.
64 KT... 20NE 15SE 10SW 15NW.
50 KT... 40NE 30SE 20SW 20NW.
34 KT... 90NE 70SE 40SW 60NW.

FORECAST VALID 31/0600Z 25.6N 72.0W
MAX WIND 105 KT...GUSTS 130 KT.
64 KT... 20NE 20SE 10SW 15NW.
50 KT... 40NE 30SE 20SW 30NW.
34 KT... 90NE 70SE 40SW 70NW.

FORECAST VALID 31/1800Z 26.1N 73.8W
MAX WIND 110 KT...GUSTS 135 KT.
64 KT... 25NE 20SE 10SW 20NW.
50 KT... 40NE 30SE 20SW 30NW.
34 KT... 90NE 70SE 50SW 70NW.

FORECAST VALID 01/0600Z 26.4N 75.5W
MAX WIND 115 KT...GUSTS 140 KT.
64 KT... 25NE 20SE 15SW 20NW.
50 KT... 50NE 40SE 30SW 40NW.
34 KT... 90NE 80SE 50SW 80NW.

FORECAST VALID 02/0600Z 26.7N 78.3W
MAX WIND 120 KT...GUSTS 145 KT.
50 KT... 50NE 50SE 40SW 40NW.
34 KT... 90NE 80SE 70SW 80NW.

EXTENDED OUTLOOK. NOTE...ERRORS FOR TRACK HAVE AVERAGED NEAR 150 NM
ON DAY 4 AND 175 NM ON DAY 5...AND FOR INTENSITY NEAR 15 KT EACH DAY

OUTLOOK VALID 03/0600Z 26.9N 80.1W...INLAND
MAX WIND 115 KT...GUSTS 140 KT.

OUTLOOK VALID 04/0600Z 28.1N 81.4W...INLAND
MAX WIND 65 KT...GUSTS 80 KT.

REQUEST FOR 3 HOURLY SHIP REPORTS WITHIN 300 MILES OF 23.8N 69.1W

INTERMEDIATE PUBLIC ADVISORY...WTNT35 KNHC/MIATCPAT5...AT 30/1200Z

NEXT ADVISORY AT 30/1500Z

$$
FORECASTER BERG
090144_5day_cone_no_line_and_wind.png recon_AF300-1605A-DORIAN.png
183516i5vs4gae58kkklgl.jpg 183515pyzuuyirdg0dqj1d.jpg ]
GOES11212019242F9lh2q.jpg

回復

使用道具 舉報

簽到天數: 3294 天

[LV.Master]伴壇終老

t02436|2019-8-31 13:46 | 顯示全部樓層
03Z報評價120節,站上C4,預報已更動為不登陸佛州,將近岸北上。
000
WTNT45 KNHC 310240
TCDAT5

Hurricane Dorian Discussion Number  27
NWS National Hurricane Center Miami FL       AL052019
1100 PM EDT Fri Aug 30 2019

The cloud pattern of Dorian has become quite impressive in infrared
satellite imagery this evening.  The eye has become very distinct
and is surrounded by a very symmetric ring of deep convection. The
upper-level outflow has also improved.  A NOAA Hurricane Hunter
aircraft this evening has measured peak SFMR winds of 119 kt, and a
dropsonde dropped in the northeastern eyewall had mean winds in the
lowest 150 m that also supported winds of 118 kt, so the initial
wind speed has been raised to 120 kt.  The latest center drop
indicates a minimum pressure of around 948 mb, down 22 mb since this
afternoon. Since Dorian will be traversing SSTs of around 29C and
remain in a low shear environment, the current intensification phase
may not be over.  The NHC forecast is above the guidance and calls
for some additional strengthening in the short-term.  After that,
fluctuations in intensity are likely due to eyewall replacement
cycles that are difficult to predict.  Although some decrease in
wind speed could occur when Dorian slows down and causes some
upwelling, all indications are that Dorian will remain an extremely
powerful hurricane for the next several days.

The hurricane is moving west-northwestward or 300 degrees at
9 kt.  The ridge to the north of Dorian is expected to build during
the next 24 hours, and this should cause Dorian's heading to bend
westward toward the northwestern Bahamas.  After 48 hours, the
global models show an erosion of the western portion of the ridge,
which is expected to cause the steering currents to collapse and the
hurricane to slow down considerably by day 3. Later in the period,
the models have again trended to a more significant weakness in the
ridge which allows Dorian to turn northwestward, then northward
near the east coast of Florida.  Although the deterministic
versions of the global models have trended northeastward again, the
GFS and UKMET ensemble means are farther to the left.  The
updated NHC track forecast has been nudged northeastward and lies
between the multi-model consensus aids and the aforementioned
ensemble means.  Although the official forecast track has been
nudged northeastward to near the east coast of Florida the risk of
significant impacts over much of the Florida peninsula remains high.


Key Messages:

1. A prolonged period of life-threatening storm surge and
devastating hurricane-force winds are likely in portions of the
northwestern Bahamas, where a hurricane warning is in effect.
Residents should execute their hurricane plan and listen to advice
given by local emergency officials.

2. Life-threatening storm surge and devastating hurricane-force
winds are possible along portions of the Florida east coast by early
next week, but since Dorian is forecast to slow down and turn
northward near the coast, it is too soon to determine when or where
the highest surge and winds will occur. Residents should have their
hurricane plan in place, know if they are in a hurricane evacuation
zone, and listen to advice given by local emergency officials.

3. A prolonged period of storm surge, high winds, and rainfall is
possible in portions of Florida into next week, including the
possibility of hurricane-force winds over inland portions of the
Florida peninsula.

4. Heavy rains, capable of life-threatening flash floods, are
expected over portions of the Bahamas and coastal sections of the
southeastern United States this weekend through much of next week.


FORECAST POSITIONS AND MAX WINDS

INIT  31/0300Z 25.5N  71.4W  120 KT 140 MPH
12H  31/1200Z 25.9N  72.8W  130 KT 150 MPH
24H  01/0000Z 26.3N  74.5W  130 KT 150 MPH
36H  01/1200Z 26.6N  76.0W  125 KT 145 MPH
48H  02/0000Z 26.8N  77.3W  125 KT 145 MPH
72H  03/0000Z 27.0N  78.6W  115 KT 130 MPH
96H  04/0000Z 28.3N  80.5W  110 KT 125 MPH
120H  05/0000Z 30.8N  81.2W   90 KT 105 MPH

$$
Forecaster Brown

053533_5day_cone_with_line.png

GOES05362019243vJH7CS.jpg

DORIAN.png

20190831.0520.goes-16.ir.05L.DORIAN.115kts.950mb.25.3N.71W.100pc.jpg
回復

使用道具 舉報

簽到天數: 3294 天

[LV.Master]伴壇終老

t02436|2019-8-31 23:03 | 顯示全部樓層
飛機實測資料存檔
516
URNT12 KNHC 311349
VORTEX DATA MESSAGE   AL052019
A. 31/13:27:10Z
B. 25.88 deg N 073.17 deg W
C. 700 mb 2622 m
D. 945 mb
E. 085 deg 8 kt
F. CLOSED
G. C14
H. 141 kt
I. 042 deg 10 nm 13:24:00Z
J. 125 deg 131 kt
K. 042 deg 10 nm 13:24:00Z
L. 117 kt
M. 227 deg 6 nm 13:29:00Z
N. 312 deg 108 kt
O. 227 deg 6 nm 13:29:00Z
P. 8 C / 3086 m
Q. 19 C / 3044 m
R. NA / NA
S. 12345 / 7
T. 0.02 / 1 nm
U. AF302 2305A DORIAN OB 11
MAX FL WIND 131 KT 042 / 10 NM 13:24:00Z
;

recon_NOAA2-2205A-DORIAN_timeseries.png
recon_NOAA2-2205A-DORIAN.png
recon_AF302-2305A-DORIAN_timeseries.png
recon_AF302-2305A-DORIAN.png

NHC 15Z報再根據實測調升評價至130節,上望135。
000
WTNT45 KNHC 311456
TCDAT5

Hurricane Dorian Discussion Number  29
NWS National Hurricane Center Miami FL       AL052019
1100 AM EDT Sat Aug 31 2019

Dorian's satellite presentation is outstanding with a distinct eye
of about 15 n mi in diameter. Both NOAA and Air Force Hurricane
Hunter planes have been penetrating the eye this morning and based
on a blend of the flight-level and SFMR winds, the initial intensity
has been adjusted upward to 130 kt in this advisory. Dorian is
forecast to move over a deep layer of very warm waters, which is
like high octane-fuel for hurricanes. The combination of the warm
ocean and the prevailing low shear along Dorian's path should favor
some additional strengthening, but most likely the hurricane will
experience some fluctuations in intensity due to eyewall replacement
cycles that are difficult to predict.
Beyond 3 days, as the
hurricane begins to gain in latitude a gradual weakening is
anticipated.

Plane fixes indicate that Dorian is moving toward the west or 280
degrees at 7 kt, steered by weak flow to the south of the ridge
of high pressure over the western Atlantic. Most of the global
models shift the high eastward and deepens a trough over the
eastern United States beyond 2 days.  This steering flow would
typically favor a gradual turn of the hurricane to the northwest and
north, however there is large uncertainty in the exact location
and timing of this northward turn. Although the latest guidance
has shifted a little bit eastward again this morning, there are
still ECMWF and GFS ensemble members that do not forecast the
northward turn so soon. On this basis, NHC prefers to shift the
track forecast just a little bit to the right of the previous one,
and the new official forecast lies along the western edge of the
guidance envelope. This will allow for further adjustments in the
track during future forecast cycles.

Key Messages:

1. A prolonged period of life-threatening storm surge and
devastating hurricane-force winds are expected in portions of the
northwestern Bahamas, particularly on the Abaco Islands and Grand
Bahama Island.  A hurricane warning is in effect for these areas,
and residents should listen to advice given by local emergency
officials and have their hurricane preparations completed today.

2. Life-threatening storm surge and dangerous hurricane-force winds
are still possible along portions of the Florida east coast by the
early to middle part of next week, but since Dorian is forecast to
slow down and turn northward near or just offshore of the coast, it
is too soon to determine when or where the highest surge and winds
could occur. Residents should have their hurricane plan in place,
know if they are in a hurricane evacuation zone, and listen to
advice given by local emergency officials.

3. The risk of strong winds and dangerous storm surge is increasing
along the coasts of Georgia, South Carolina, and North Carolina
during the middle of next week. Residents in these areas should
continue to monitor the progress of Dorian.

4. Heavy rains, capable of life-threatening flash floods, are
expected over portions of the Bahamas and coastal sections of the
southeastern United States this weekend through much of next week.

FORECAST POSITIONS AND MAX WINDS

INIT  31/1500Z 26.0N  73.4W  130 KT 150 MPH
12H  01/0000Z 26.2N  74.7W  135 KT 155 MPH
24H  01/1200Z 26.6N  76.2W  130 KT 150 MPH
36H  02/0000Z 26.8N  77.4W  125 KT 145 MPH
48H  02/1200Z 27.0N  78.0W  120 KT 140 MPH
72H  03/1200Z 28.0N  79.0W  115 KT 130 MPH
96H  04/1200Z 30.5N  80.0W  100 KT 115 MPH
120H  05/1200Z 33.5N  78.0W   95 KT 110 MPH

$$
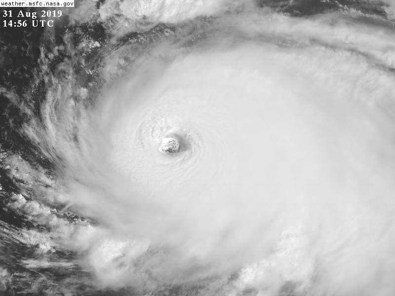
Forecaster Avila

145744_5day_cone_with_line.png

GOES14562019243SxgJpE.jpg

GOES14562019243G9EZnf.jpg
回復

使用道具 舉報

簽到天數: 582 天

[LV.9]以壇為家II

蜜露|2019-9-1 10:45 | 顯示全部樓層
本帖最後由 蜜露 於 2019-9-1 10:57 編輯



颶風獵人兩架飛機飛過了颶風中心

AF308 NOAA2
多莉安最近這兩個小時實測非常驚人


recon_NOAA2-2605A-DORIAN_timeseries.png


recon_AF308-2505A-DORIAN_timeseries.png

recon_AF308-2505A-DORIAN.png

最高一度還達到150kts耶 940hPa上下

bandicam 2019-09-01 10-46-11-224.jpg

巴哈馬的雷達顯示的颶風底層
最新有可能從美國佛州以東北上



回復

使用道具 舉報

簽到天數: 3294 天

[LV.Master]伴壇終老

t02436|2019-9-1 21:12 | 顯示全部樓層
NHC12Z評價140節,北大西洋連續4年有C5達標
...EYEWALL OF NOW CATASTROPHIC CATEGORY 5 HURRICANE DORIAN ABOUT TO
HIT THE ABACO ISLANDS WITH DEVASTATING WINDS...
...LIFE-THREATENING STORM SURGE AND VERY HEAVY RAINFALL ALSO
EXPECTED...


SUMMARY OF 800 AM EDT...1200 UTC...INFORMATION
----------------------------------------------
LOCATION...26.5N 76.5W
ABOUT 35 MI...55 KM E OF GREAT ABACO ISLAND
ABOUT 225 MI...360 KM E OF WEST PALM BEACH FLORIDA
MAXIMUM SUSTAINED WINDS...160 MPH...260 KM/H
PRESENT MOVEMENT...W OR 275 DEGREES AT 8 MPH...13 KM/H
MINIMUM CENTRAL PRESSURE...927 MB...27.37 INCHES

115245_5day_cone_with_line.png

recon_AF302-2805A-DORIAN_timeseries.png

recon_AF302-2805A-DORIAN.png

GOES130620192441JN3oR.jpg
回復

使用道具 舉報

簽到天數: 582 天

[LV.9]以壇為家II

蜜露|2019-9-1 22:10 | 顯示全部樓層
本帖最後由 蜜露 於 2019-9-1 22:37 編輯



AF302飛機 投落儀達到了 160Kts !!!!


颶風多利安升到Cat.5  而且還有繼續增強的趨勢 ,  兩架飛機同時觀測,其中一架AF302 投落儀達到了 160Kts !!!!


recon_AF302-2805A-DORIAN_timeseries (1).png


recon_AF302-2805A-DORIAN_dropsonde10_20190901-1320.png


NHC颶風中心有提到SFMR好像有點詭異 ,但是投落儀達到了160Kts 可靠性很大


bandicam 2019-09-01 22-09-31-191.jpg


有可能掃過巴哈馬幾個島,最後從美國東部沿岸北上。


2019AL05_4KMSRBDC_201909011400.jpg

回復

使用道具 舉報

簽到天數: 3294 天

[LV.Master]伴壇終老

t02436|2019-9-1 22:53 | 顯示全部樓層
NHC根據實測加報調升強度到155節!
000
WTNT65 KNHC 011330
TCUAT5

Hurricane Dorian Tropical Cyclone Update
NWS National Hurricane Center Miami FL       AL052019
930 AM EDT Sun Sep 01 2019

...CATASTROPHIC CATEGORY 5 DORIAN CONTINUING TO INTENSIFY AS IT
APPROACHES THE ABACO ISLANDS...

Data from an Air Force Reserve Hurricane Hunter aircraft indicate
that Dorian has continued to intensify, and now has maximum
sustained winds near 175 mph (280 km/h), with a minimum central
pressure of 922 mb (27.23 inches).

The eyewall of catastrophic Hurricane Dorian is currently reaching
the Abaco Islands.  This is a life-threatening situation.  Residents
there should take immediate shelter.  Do not venture into the eye if
it passes over your location.

Hazards:
- Wind Gusts over 200 mph
- Storm Surge 15 to 20 feet above normal tide levels with higher
destructive waves

These hazards will cause extreme destruction in the affected areas.
and will continue for several hours.


SUMMARY OF 930 AM EDT...1330 UTC...INFORMATION
----------------------------------------------
LOCATION...26.5N 76.6W
ABOUT 25 MI...40 KM ENE OF GREAT ABACO ISLAND
ABOUT 210 MI...340 KM E OF WEST PALM BEACH FLORIDA
MAXIMUM SUSTAINED WINDS...175 MPH...280 KM/H
PRESENT MOVEMENT...W OR 275 DEGREES AT 8 MPH...13 KM/H
MINIMUM CENTRAL PRESSURE...922 MB...27.73 INCHES

$$
Forecaster Brennan/Blake/Zelinsky/Avila

20190901.1410.goes-16.ir.05L.DORIAN.140kts.927mb.26.5N.76.5W.100pc.jpg

NOAA2實測持續測得大於160節的風速
recon_NOAA2-2905A-DORIAN.png

recon_NOAA2-2905A-DORIAN_timeseries.png
回復

使用道具 舉報

快速回覆
您需要登錄後才可以回帖 登錄 | 立即加入

本版積分規則

本平台僅供學術討論之用,預報應以氣象局為準

威普網站虛擬主機贊助公司

臺灣第一個天氣類型社群平台 即時天氣資訊、精準颱風動態

線上客服
FB傳送訊息
廣告行銷
精準行銷 物超所值
官方粉專
發佈 快速回復 返回頂部 返回列表