開啟輔助訪問
 找回密碼
 立即加入

1408 浣熊 橫掃日本 轉化溫氣

簽到天數: 687 天

[LV.9]以壇為家II

麻友飯|2014-7-6 21:48 | 顯示全部樓層
明顯地是有乾空氣捲入
但也不太像雙眼牆吧
雖然形狀頗有雙眼牆的形態
雙眼牆不是應該要等中心原來的風眼收窄才形成嗎?
浣熊的風眼還是渾圓清澈啊
附上GIF
swir_lalo-animated.gif

點評

雲捲風眼直接演變的風眼果然有弊端  發表於 2014-7-6 21:55
可能是乾空氣 本身結構就不是很穩定...  發表於 2014-7-6 21:50
回復

使用道具 舉報

簽到天數: 312 天

[LV.8]以壇為家I

archondarz|2014-7-6 21:49 | 顯示全部樓層
高壓持續東退中

看樣子準備要往北衝了

一路向北掰掰啦

日本朋友要多加注意啦

點評

樓上幾樓也很多阿 只是沒講那麼明顯而已 而事實上 高壓就是在東退中 有疑問嗎?  發表於 2014-7-6 22:28
https://www.facebook.com/caterlanse/posts/665171000238648  發表於 2014-7-6 22:28
請問一下你根據哪個資料顯示副高正在東退呢? 可以提供一下嗎? 謝囉  發表於 2014-7-6 22:15
回復

使用道具 舉報

簽到天數: 582 天

[LV.9]以壇為家II

J18|2014-7-6 21:53 | 顯示全部樓層
氣象局數值大概是所有數值中 最不可能走的路徑!
西北颱.gif

點評

ktf
氣象局的數值看看就好,沒什麼參考性  發表於 2014-7-6 23:20
這是GFS模式 不是美國那一個  發表於 2014-7-6 22:42
J18
機率小  發表於 2014-7-6 22:07
這走向台灣影響伊定很大 但是不可能八  發表於 2014-7-6 22:06
J18
好像很多氣象機構都引用GFS  發表於 2014-7-6 21:59
J18
一個是人判斷 一個是電腦自己算出來的  發表於 2014-7-6 21:57
這是cwb的?  發表於 2014-7-6 21:56
CWB路徑 跟數值路徑不一樣?  發表於 2014-7-6 21:56
中央氣象局的這個資料是引用自GFS...  發表於 2014-7-6 21:55
回復

使用道具 舉報

簽到天數: 1913 天

[LV.Master]伴壇終老

服部武藏|2014-7-6 22:13 | 顯示全部樓層
颱風開始往西北偏上去了
高氣壓正在東退中 北偏角度就看東退速度了@@

0706 2200 H.jpg


0706 2000.GIF

點評

現在是七月...大陸高壓還縮在西伯利亞那呢...  發表於 2014-7-6 23:07
會不會接大陸高壓  發表於 2014-7-6 22:53
不知會不會有陸高  發表於 2014-7-6 22:51
短暫的西北方向移動 現在似乎又回到西北西方向  發表於 2014-7-6 22:43
看看颱風右下方 不排除 浣熊過去之後 關島附近又有熱帶擾動繼續發展  發表於 2014-7-6 22:41
沒吧?!過去還是以西北西啊!速度還不慢呢!  發表於 2014-7-6 22:34
回復

使用道具 舉報

簽到天數: 241 天

[LV.8]以壇為家I

krichard2011|2014-7-6 22:19 | 顯示全部樓層
本帖最後由 krichard2011 於 2014-7-6 22:25 編輯

經過這一天 這颱風的結構似乎變得好差
只能等等看稍會兒W能不能順利捲上去
看來 我之前賭的155kt 可能要槓龜了 我的500mm T_T
20140706.1301.mtsat-2.ir.BD.08WNEOGURI.120kts-933mb.jpg

點評

這邊個人可能只能用文字來說明8號颱風現在的狀況,因為個人取得資料的侷限性。 目前8號颱風在輻合狀況上,西南季風主要流線,已經大致在此颱風的環流切線方向提供水氣,但也因為是直接在切線方向上吸入大量水氣,因  詳情 回復 發表於 2014-7-7 00:17
這樣說起來,佳芭還真是夏颱裡的奇葩....不過佳芭原本也是個大爛眼就是了...  發表於 2014-7-7 00:00
ktf
夏颱有乾空氣因素強度就比較難衝得很高  發表於 2014-7-6 23:46
海棠的巔峰也不長,C5達標後很快就捲近乾空氣了  發表於 2014-7-6 23:27
ktf
印象最深的是碧利斯二世,預測又大又強,結果碧利斯二是怎樣大家都知道XD  發表於 2014-7-6 23:21
ktf
數值預測強度本來就容易發抽,很正常  發表於 2014-7-6 23:21
7月颱風的硬傷..乾空氣~~ 1989年的7月颱風,戈登 ,或者近年熟悉的海棠 算是7月傑出的佼佼者  發表於 2014-7-6 23:18
老J先前估150..現在140. 我猜140..但浣熊可能連C5都很困難= = 11年桑達都可以當浣熊強化版了  發表於 2014-7-6 23:15
EC預測這颱風預測僅次海燕..結果差很多...現在問題不只乾空氣..可能連給個強颱都很難  發表於 2014-7-6 23:13
J18
看看到台灣東部外海時是否還會增強  發表於 2014-7-6 22:56
回復

使用道具 舉報

簽到天數: 241 天

[LV.8]以壇為家I

krichard2011|2014-7-6 23:16 | 顯示全部樓層
CDO最近者幾個小時似乎有稍為改善
相較於稍早的色調強化 對流有增強的跡象
可能是拜對流日夜變化之賜...
看看稍後會不會再有進一步發展
HS1Q-2014-07-06-23-00.jpg

點評

入夜後的確對流增強了 CDO變得扎實 樣子個人來看真的不像雙眼牆 [attachimg]41899[/attachimg] 不過熊大面前仍然挑戰重重 北象限水氣很不給力= = 太接近副高的心腹了 [attachimg]41900[/attachimg]  詳情 回復 發表於 2014-7-6 23:28
回復

使用道具 舉報

簽到天數: 687 天

[LV.9]以壇為家II

麻友飯|2014-7-6 23:28 | 顯示全部樓層
krichard2011 發表於 2014-7-6 23:16
CDO最近者幾個小時似乎有稍為改善
相較於稍早的色調強化 對流有增強的跡象
可能是拜對流日夜變化之賜...

入夜後的確對流增強了
CDO變得扎實
樣子個人來看真的不像雙眼牆
swir0-lalo.gif
不過熊大面前仍然挑戰重重
北象限水氣很不給力= =
太接近副高的心腹了
wv0-lalo.gif

點評

北側眼牆差不多修復好了..  發表於 2014-7-6 23:46
回復

使用道具 舉報

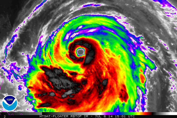
簽到天數: 588 天

[LV.9]以壇為家II

Meow|2014-7-6 23:55 | 顯示全部樓層
對流分佈終於勻稱了,只是深對流與風眼的直徑比例好像只有 3:1 耶。

rbtop0.gif

點評

我還蠻好奇到底是不是因為深對流比較小圈 而比較不容易產生雙眼牆...  發表於 2014-7-6 23:57
回復

使用道具 舉報

快速回覆
您需要登錄後才可以回帖 登錄 | 立即加入

本版積分規則

本平台僅供學術討論之用,預報應以氣象局為準

威普網站虛擬主機贊助公司

臺灣第一個天氣類型社群平台 即時天氣資訊、精準颱風動態

線上客服
FB傳送訊息
廣告行銷
精準行銷 物超所值
官方粉專
發佈 快速回復 返回頂部 返回列表