開啟輔助訪問
 找回密碼
 立即加入

1422 哈格比 中心裸露 將掠馬來半島

簽到天數: 241 天

[LV.8]以壇為家I

krichard2011|2014-12-5 00:22 | 顯示全部樓層
本帖最後由 krichard2011 於 2014-12-5 00:35 編輯

看起來 有可能是吸到乾冷空氣了
從解析度較低的底層掃瞄 隱約可以發現
看似雙眼牆 有疑似眼牆置換的情形發生
紅外線雲圖風眼也有開始有填塞的情形發生
眼溫逐漸降低 除非眼牆置換的情形順利成功
否則巔峰可能就暫時是這樣了
不過對菲律賓 也算是個小小的好消息
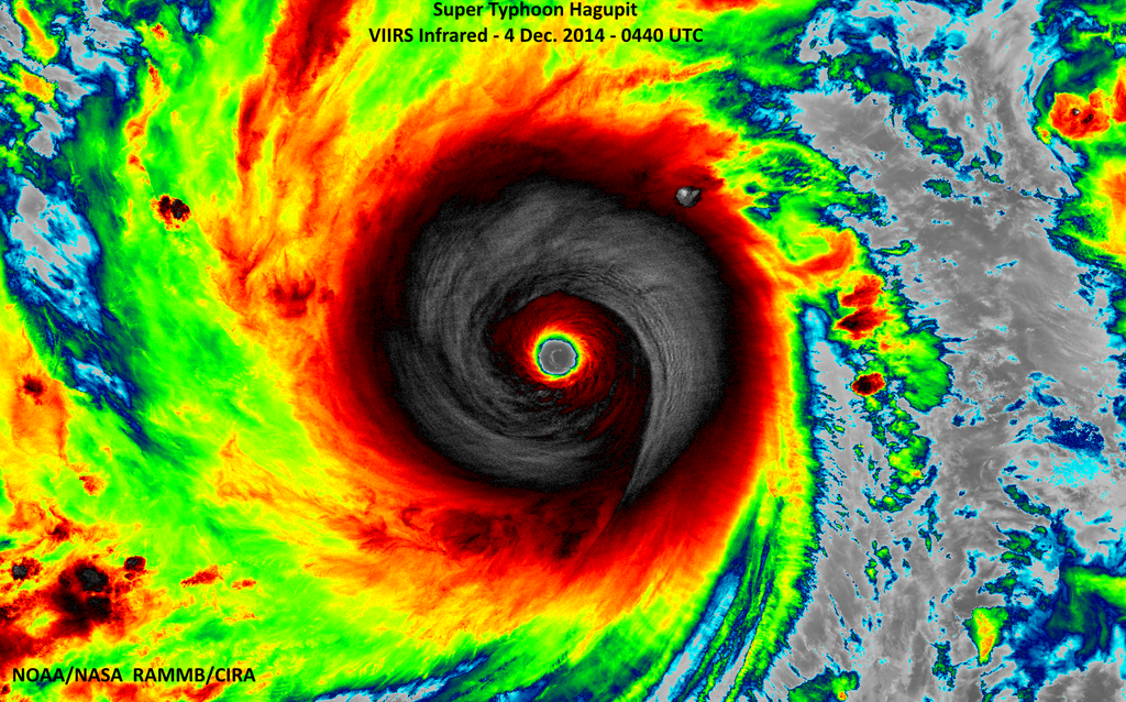
另附上今天中午中央氣象局與NOAA釋出的VIIRS雲圖
20141204.1253.metopa.89rgb.22W.HAGUPIT.150kts.911mb.11N.131.3E.93pc.jpg
HS1P-2014-12-05-00-00.jpg

美圖存檔
large_npp_201412041240L-2.jpg
原圖:http://www.cwb.gov.tw/V7/knowled ... 201412041240L-2.png

再兩張同個時段的(圖源:NOAA Satellites Twitter)
B4BiGxUIEAAKfoI.png
B4BiIB5IMAAdyZW.png

點評

現在在菲東置換.是否是環境轉差導致? 如果是這樣.那未來可能難超越前一次的巔峰了  發表於 2014-12-5 01:46
今年這3個颱風誰最強..又有的吵了 1987 1997 之後 2014  發表於 2014-12-5 01:42

評分

參與人數 1水氣能量 +50 收起 理由
jwpk9899 + 50 超美的!!!!!

查看全部評分

回復

使用道具 舉報

簽到天數: 241 天

[LV.8]以壇為家I

krichard2011|2014-12-5 07:58 | 顯示全部樓層
眼牆置換順利成功從小眼轉換為大眼
風眼應該有機會再度開啟
由於速度放慢 未來有整整一天都還會在海上
重新增強的機會應該不低
20141204.2301.gpm.x.colorpct_89h_89v_1deg.22WHAGUPIT.145kts-914mb-114N-1304E.56pc.jpg
20141204.2314.mtsat2.x.vis1km_high.22WHAGUPIT.145kts-914mb-114N-1304E.100pc.jpg

點評

目前是機構給的暫時減弱..但其實置換成功的..是重新增強的~但是不會比前一次強  發表於 2014-12-5 10:30
高層看似差 但底層很不錯 而且緯度壓很低 冷空氣影響不至於太大  發表於 2014-12-5 09:39
已經減弱強颱下線至中颱上限了!昨天巔峰時刻約8小時~  發表於 2014-12-5 09:26
但是今天的結構更差了!北上就會遇到冷空氣(強烈冷氣團)...會開始逐步減弱~~  發表於 2014-12-5 09:23
回復

使用道具 舉報

簽到天數: 582 天

[LV.9]以壇為家II

蜜露|2014-12-5 10:39 | 顯示全部樓層


黑格比的特色是CDO正圓+小風眼

從BD來比較看CDO.就不算很大..這和黃蜂有著差異

雖說對流比黃蜂強.但比鸚鵡弱

如果那個黑色CDG有連接一圈的話..那就更好看了~可惜沒有

另外這還滿像1997年的艾文.  艾文也是這種體型CDO和小風眼
不過黑格比的對流要比艾文強.

20141204.0401.mtsat-2.irbd.22W.HAGUPIT.155kts.907mb.9.8N.133.9E.100pc.jpg

點評

這種颱風對流.我也很喜歡~如果右下方缺口有補到的話...  發表於 2014-12-5 10:41
回復

使用道具 舉報

簽到天數: 241 天

[LV.8]以壇為家I

krichard2011|2014-12-5 12:12 | 顯示全部樓層
一個相當成功的眼牆置換
風眼重開 目前也接上了槽前幅散
颱風本體也卡進鞍形場之中
導致現在速度減慢許多 以最近幾個小時的衛星雲圖來看
似乎有疑似滯留的情形發生 海溫支持加上槽前幅散
強度應該有機會再度增強  不過是否達到先前的巔峰
那就得看他的本事了
HS1Q-2014-12-05-11-30.jpg
wgmswvir.GIF
wgmsdlm2.GIF

評分

參與人數 1水氣能量 +20 收起 理由
ben811018 + 20

查看全部評分

回復

使用道具 舉報

簽到天數: 12 天

[LV.3]偶爾看看II

ktf|2014-12-5 13:15 | 顯示全部樓層
基本上就是冷空氣影響到,水氣圖整個超乾,菲律賓要感謝這波冷氣團以這種走向衝下來
wv-l1205.jpg
r3oi_lc30_anal_axfe01_pb4_2014120500.gif
850氣流場強風區從陸地經由琉球往南灌下來,帶來乾又涼的空氣
925溫度場18度線也壓到呂宋北部
這波冷氣團帶下不少乾空氣南下,颱風強度減弱因素大概是主因

點評

雖然強度有減弱 但是登陸時強度還是偏強  發表於 2014-12-5 15:47

評分

參與人數 1水氣能量 +20 收起 理由
Herb + 20

查看全部評分

回復

使用道具 舉報

簽到天數: 1990 天

[LV.Master]伴壇終老

ben811018|2014-12-5 15:50 | 顯示全部樓層
擷取.PNG

【颱風動態】
哈格比颱風進入兩高壓之間的鞍型場中,移動速度明顯放慢下來,接下來將繼續由西側的高壓導引,朝菲律賓中部群島靠近,路徑變數逐漸減小。


強度方面,過去數小時強度略有減弱,除了本身環流結構調整外,北方南下的強冷空氣帶下的乾空氣也有往南入侵的趨勢,環流結構開始被破壞,預估強度還會稍稍減弱,不過哈格比還是一個很威猛的颱風!


【特別提醒】
哈格比颱風雖然不會直接影響到我們,但當通過菲律賓中部群島或陸地時水氣還是會往北輸送上來,加上低層的東北季風持續吹拂下,位於迎風面的東半部、北部山區、基隆北海岸及恆春半島下雨機會相當高,並且有局部較大雨勢發生機會,本週末上述區域如有安排戶外活動的朋友請稍留意天氣資訊。其他地區則維持多雲到晴的好天氣,不受影響!


20141205.060000.ASCAT.mta.r42171.wrave2.22W.HAGUPIT.gif 20141205.0701.mtsat-2.vis.22W.HAGUPIT.125kts.929mb.11.9N.128.9E.100pc.jpg 20141205.0308.trmm.color.22W.HAGUPIT.125kts.929mb.11.9N.128.9E.46pc.jpg

哈格比颱風討論區:http://ppt.cc/bHay
冬天冷氣團追擊專帖:http://ppt.cc/r089
-by 柏


回復

使用道具 舉報

簽到天數: 241 天

[LV.8]以壇為家I

krichard2011|2014-12-5 16:53 | 顯示全部樓層
眼牆置換完成後經過幾個小時的整合
眼牆又再度變會之前那樣扎實的結構了
高層眼逐漸清空當中 目前風眼雲頂溫度已經提升至ow
預估強度應該會再稍稍增強
20141205.0748.f16.x.colorpct_91h_91v.22WHAGUPIT.125kts-929mb-119N-1289E.97pc.jpg
20141205.0801.mtsat2.x.ir1km.22WHAGUPIT.125kts-929mb-119N-1289E.100pc.jpg
20141205.0801.mtsat-2.ir.BD.22WHAGUPIT.125kts-929mb.jpg

點評

雖然再度變強.可是長相..變成Ivan模式....還是喜歡4日巔峰的樣子  發表於 2014-12-5 16:58
回復

使用道具 舉報

簽到天數: 582 天

[LV.9]以壇為家II

J18|2014-12-5 18:33 | 顯示全部樓層

哈格比這兩天戲劇性的變化
圖(twitter Josh Morgerman)
IMG_20141205_182610.jpg

評分

參與人數 1水氣能量 +10 收起 理由
ben811018 + 10 贊一個!

查看全部評分

回復

使用道具 舉報

快速回覆
您需要登錄後才可以回帖 登錄 | 立即加入

本版積分規則

本平台僅供學術討論之用,預報應以氣象局為準

威普網站虛擬主機贊助公司

臺灣第一個天氣類型社群平台 即時天氣資訊、精準颱風動態

線上客服
FB傳送訊息
廣告行銷
精準行銷 物超所值
官方粉專
發佈 快速回復 返回頂部 返回列表