開啟輔助訪問
 找回密碼
 立即加入

2421 康芮 1958年後最晚登陸強颱 近28年最廣暴風半徑

該用戶從未簽到

kingchard2011|2024-10-29 23:40 | 顯示全部樓層
此文為自動發布
颱風警報報文資料建檔

CWA:

  1. 命名與位置:中度颱風 康芮(國際命名 KONG-REY)29日23時的中心位置在北緯 18.7 度,東經 125.5 度,即在鵝鑾鼻的東南方約 600 公里之處。
  2. 強度與半徑:中心氣壓 940 百帕,近中心最大風速每秒 45 公尺(約每小時 162 公里),相當於 14 級風,瞬間最大陣風每秒 55 公尺(約每小時 198 公里),相當於 16 級風,七級風暴風半徑 280 公里,十級風暴風半徑 90 公里。
  3. 移速與預測:以每小時12轉16公里速度,向西北西轉西北進行,預測30日23時的中心位置在北緯 20.3 度,東經 123.0 度,即在鵝鑾鼻的東南方約 280 公里之處。
  4. 颱風動態:根據最新資料顯示,第21號颱風目前中心在鵝鑾鼻東南方海面,向西北西轉西北移動,對巴士海峽及臺灣東南部海面將構成威脅,此颱風未來強度有增強且暴風圈有擴大的趨勢。
  5. 警戒區域及事項:海上:臺灣東南部海面(含蘭嶼、綠島)、巴士海峽航行及作業船隻應嚴加戒備。
  6. 大雨特報:颱風外圍環流影響,今(29日)晚至明(30日)晨基隆北海岸及大臺北、宜蘭山區有局部大雨發生的機率,請注意瞬間大雨,山區慎防坍方、落石及溪水暴漲。
  7. 注意事項:*臺灣各沿海及蘭嶼、綠島、澎湖、金門、馬祖易有長浪發生,各海面及巴士海峽風浪亦將逐漸增大,易有3至5米以上浪高,明(30)日東部、東南部沿海及蘭嶼浪高可達6米以上,請注意。*陸上強風特報:今(29日)晚至明(30日)晨東北風明顯偏強,蘭嶼、綠島、恆春半島易有10至11級強陣風,桃園至雲林沿海空曠地區及澎湖易有9至10級強陣風,馬祖亦有8至9級強陣風,基隆北海岸、嘉義、臺南、東部、東南部沿海空曠地區及金門亦有較強陣風;明(30日)上午起颱風外圍環流影響,蘭嶼、綠島、澎湖將有11至12級強陣風,臺南以北沿海空曠地區及恆春半島、馬祖有9至10級強陣風,尤其苗栗至雲林沿海空曠地區及恆春半島有11級左右的強陣風,東半部沿海空曠地區及金門亦有較強陣風,請避免前往海邊活動。*本警報單之颱風平均半徑約為280公里,詳細特性請參考本署颱風輔助說明(https:// [url]www.cwa.gov.tw/Data/typhoon/TY_PDF.pdf[/url])。
複製代碼
回復

使用道具 舉報

簽到天數: 1990 天

[LV.Master]伴壇終老

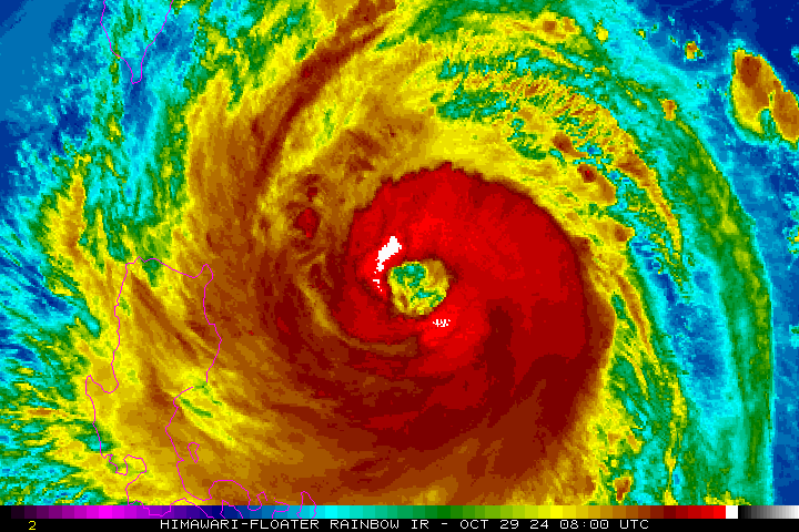
ben811018|2024-10-30 00:05 | 顯示全部樓層
13513511351.gif 圖片1.png


颱風核心越來越恐怖...
回復

使用道具 舉報

該用戶從未簽到

kingchard2011|2024-10-30 02:40 | 顯示全部樓層
此文為自動發布
颱風警報報文資料建檔

CWA:

  1. 命名與位置:中度颱風 康芮(國際命名 KONG-REY)30日2時的中心位置在北緯 18.7 度,東經 125.4 度,即在鵝鑾鼻的東南方約 590 公里之處。
  2. 強度與半徑:中心氣壓 935 百帕,近中心最大風速每秒 48 公尺(約每小時 173 公里),相當於 15 級風,瞬間最大陣風每秒 58 公尺(約每小時 209 公里),相當於 17 級風,七級風暴風半徑 280 公里,十級風暴風半徑 90 公里。
  3. 移速與預測:以每小時13轉16公里速度,向西北進行,預測31日2時的中心位置在北緯 20.6 度,東經 122.7 度,即在鵝鑾鼻的東南方約 240 公里之處。
  4. 颱風動態:根據最新資料顯示,第21號颱風目前中心在鵝鑾鼻東南方海面,向西北移動,對巴士海峽、臺灣東南部海面及臺灣海峽南部將構成威脅,此颱風未來強度有增強且暴風圈有擴大的趨勢。
  5. 警戒區域及事項:海上:臺灣東南部海面(含蘭嶼、綠島)、巴士海峽、臺灣海峽南部航行及作業船隻應嚴加戒備。
  6. 大雨特報:颱風外圍環流影響,今(30日)下午起基隆北海岸及大臺北、宜蘭山區有局部大雨發生的機率,請注意瞬間大雨,山區慎防坍方、落石及溪水暴漲。
  7. 注意事項:*臺灣各沿海及蘭嶼、綠島、澎湖、金門、馬祖易有長浪發生,各海面及巴士海峽風浪亦將逐漸增大,易有3至5米以上浪高,今(30)日東部、東南部沿海及蘭嶼浪高可達6米以上,請注意。*陸上強風特報:今(30)日颱風外圍環流影響,蘭嶼、綠島、澎湖將有11至12級強陣風,臺南以北沿海空曠地區及恆春半島、馬祖有9至10級強陣風,尤其苗栗至雲林沿海空曠地區及恆春半島有11級左右的強陣風,東半部沿海空曠地區及金門亦有較強陣風,請避免前往海邊活動。*本警報單之颱風平均半徑約為280公里,詳細特性請參考本署颱風輔助說明(https:// [url]www.cwa.gov.tw/Data/typhoon/TY_PDF.pdf[/url])。*若此颱風行徑無特殊變化,本署預計於今(30)日5時30分發布海上陸上颱風警報。
複製代碼
回復

使用道具 舉報

該用戶從未簽到

kingchard2011|2024-10-30 05:00 | 顯示全部樓層
此文為自動發布
熱帶氣旋報文資料建檔

CWA:

  1. ENG_NAME:KONG-REY
  2. 中文名:康芮

  3. INIT
  4.     TIME 2024-10-29 18:00 UTC
  5.     LAT: 18.7 N  LON: 125.4 E
  6.     MOVEMENT: W 4 km/hr
  7.     MXWD: 48 m/s
  8.     GUST: 58 m/s
  9.     PRES: 935 hPa
  10.                
  11.     RADIUS OF OVER 15m/s WINDS: 280 km
  12.     - NE: 280 km
  13.     - SE: 280 km
  14.     - SW: 280 km
  15.     - NW: 280 km
  16.                     
  17.     RADIUS OF OVER 25m/s WINDS: 90 km
  18.     - NE: 90 km
  19.     - SE: 90 km
  20.     - SW: 90 km
  21.     - NW: 90 km
  22.                     
  23. +006
  24.     TIME 2024-10-30 00:00 UTC
  25.     LAT: 19.1 N  LON: 124.7 E
  26.     MOVEMENT: WNW 14 km/hr
  27.     MXWD: 48 m/s
  28.     GUST: 58 m/s
  29.     PRES: 930 hPa
  30.                
  31. +012
  32.     TIME 2024-10-30 06:00 UTC
  33.     LAT: 19.5 N  LON: 124.1 E
  34.     MOVEMENT: NW 13 km/hr
  35.     MXWD: 48 m/s
  36.     GUST: 58 m/s
  37.     PRES: 930 hPa
  38.                
  39. +018
  40.     TIME 2024-10-30 12:00 UTC
  41.     LAT: 20.0 N  LON: 123.4 E
  42.     MOVEMENT: NW 15 km/hr
  43.     MXWD: 48 m/s
  44.     GUST: 58 m/s
  45.     PRES: 930 hPa
  46.                
  47. +024
  48.     TIME 2024-10-30 18:00 UTC
  49.     LAT: 20.6 N  LON: 122.7 E
  50.     MOVEMENT: NW 16 km/hr
  51.     MXWD: 48 m/s
  52.     GUST: 58 m/s
  53.     PRES: 930 hPa
  54.                
  55. +036
  56.     TIME 2024-10-31 06:00 UTC
  57.     LAT: 22.3 N  LON: 120.9 E
  58.     MOVEMENT: NW 22 km/hr
  59.     MXWD: 48 m/s
  60.     GUST: 58 m/s
  61.     PRES: 930 hPa
  62.                
  63. +048
  64.     TIME 2024-10-31 18:00 UTC
  65.     LAT: 24.4 N  LON: 119.5 E
  66.     MOVEMENT: NNW 23 km/hr
  67.     MXWD: 38 m/s
  68.     GUST: 48 m/s
  69.     PRES: 960 hPa
  70.                
  71. +072
  72.     TIME 2024-11-01 18:00 UTC
  73.     LAT: 29.0 N  LON: 121.9 E
  74.     MOVEMENT: NE 25 km/hr
  75.     MXWD: 20 m/s
  76.     GUST: 28 m/s
  77.     PRES: 995 hPa
  78.                
  79. +096
  80.     TIME 2024-11-02 18:00 UTC
  81.     LAT: 31.3 N  LON: 126.5 E
  82.     MOVEMENT: ENE 21 km/hr
  83.     MXWD: 15 m/s
  84.     GUST: 23 m/s
  85.     PRES: 1000 hPa
  86.                
複製代碼


JMA
  1. WTPQ51 RJTD 291800
  2. RSMC TROPICAL CYCLONE ADVISORY
  3. NAME  TY 2421 KONG-REY (2421)
  4. ANALYSIS
  5. PSTN  291800UTC 18.8N 125.4E GOOD
  6. MOVE  WNW 08KT
  7. PRES  935HPA
  8. MXWD  090KT
  9. GUST  130KT
  10. 50KT  100NM
  11. 30KT  325NM
  12. FORECAST
  13. 12HF  300600UTC 19.8N 124.1E 25NM 70%
  14. MOVE  NW 08KT
  15. PRES  925HPA
  16. MXWD  095KT
  17. GUST  135KT
  18. 24HF  301800UTC 21.1N 122.8E 35NM 70%
  19. MOVE  NW 09KT
  20. PRES  925HPA
  21. MXWD  095KT
  22. GUST  135KT
  23. 48HF  311800UTC 24.8N 120.1E 55NM 70%
  24. MOVE  NNW 11KT
  25. PRES  980HPA
  26. MXWD  055KT
  27. GUST  080KT
  28. 72HF  011800UTC 29.6N 122.6E 80NM 70% EXTRATROPICAL LOW =

複製代碼
回復

使用道具 舉報

該用戶從未簽到

kingchard2011|2024-10-30 05:40 | 顯示全部樓層
此文為自動發布
颱風警報報文資料建檔

CWA:

  1. 命名與位置:中度颱風 康芮(國際命名 KONG-REY)30日5時的中心位置在北緯 19.0 度,東經 125.1 度,即在鵝鑾鼻的東南方約 540 公里之處。
  2. 強度與半徑:中心氣壓 935 百帕,近中心最大風速每秒 48 公尺(約每小時 173 公里),相當於 15 級風,瞬間最大陣風每秒 58 公尺(約每小時 209 公里),相當於 17 級風,七級風暴風半徑 300 公里,十級風暴風半徑 100 公里。
  3. 移速與預測:以每小時14公里速度,向西北進行,預測31日5時的中心位置在北緯 21.0 度,東經 122.5 度,即在鵝鑾鼻的東南東方約 190 公里之處。
  4. 颱風動態:根據最新資料顯示,第21號颱風過去3小時暴風圈略為擴大,目前中心在鵝鑾鼻東南方海面,向西北移動,其暴風圈正逐漸進入巴士海峽,對臺東及恆春半島將構成威脅。
  5. 警戒區域及事項:海上:臺灣海峽南部、臺灣東北部海面、臺灣東南部海面、巴士海峽航行及作業船隻應嚴加戒備。陸上:臺東、恆春半島應嚴加戒備。
  6. 大雨特報:颱風外圍環流影響,今(30)下午起基隆北海岸及大臺北、宜蘭山區有局部大雨發生的機率,請注意瞬間大雨,山區慎防坍方、落石及溪水暴漲。
  7. 注意事項:*臺灣各沿海及蘭嶼、綠島、澎湖、金門、馬祖易有長浪發生,各海面及巴士海峽風浪亦將逐漸增大,易有3至5米以上浪高,尤其今(30)日東部、東南部沿海及蘭嶼浪高可達6米以上,請避免前往海邊活動。*陸上強風特報:颱風外圍環流影響,今(30)日蘭嶼、綠島、澎湖將有11至12級強陣風,桃園至雲林及東南部沿海空曠地區、恆春半島、馬祖有9至10級強陣風,其他沿海空曠地區及金門亦有較強陣風,請特別注意。*本警報單之颱風平均半徑約為300公里,詳細特性請參考本署颱風輔助說明(https:// [url]www.cwa.gov.tw/Data/typhoon/TY_PDF.pdf[/url])。
複製代碼
回復

使用道具 舉報

該用戶從未簽到

kingchard2011|2024-10-30 08:40 | 顯示全部樓層
此文為自動發布
颱風警報報文資料建檔

CWA:

  1. 命名與位置:強烈颱風 康芮(國際命名 KONG-REY)30日8時的中心位置在北緯 19.1 度,東經 124.9 度,即在鵝鑾鼻的東南方約 520 公里之處。
  2. 強度與半徑:中心氣壓 925 百帕,近中心最大風速每秒 51 公尺(約每小時 184 公里),相當於 16 級風,瞬間最大陣風每秒 63 公尺(約每小時 227 公里),相當於 17 級風以上,七級風暴風半徑 300 公里,十級風暴風半徑 100 公里。
  3. 移速與預測:以每小時15轉20公里速度,向西北進行,預測31日8時的中心位置在北緯 21.5 度,東經 122.1 度,即在鵝鑾鼻的東南東方約 130 公里之處。
  4. 颱風動態:根據最新資料顯示,第21號颱風已增強為強烈颱風,目前中心在鵝鑾鼻東南方海面,向西北移動,其暴風圈正逐漸進入巴士海峽,將對花蓮、臺東、屏東及恆春半島構成威脅。
  5. 警戒區域及事項:海上:臺灣海峽、臺灣東半部海面、巴士海峽、東沙島海面航行及作業船隻應嚴加戒備。陸上:花蓮、臺東、屏東、恆春半島應嚴加戒備。
  6. 大雨特報:颱風外圍環流影響,今(30)下午起基隆北海岸及大臺北、宜蘭山區有局部大雨發生的機率,請注意瞬間大雨,山區慎防坍方、落石及溪水暴漲。
  7. 注意事項:*臺灣各沿海及蘭嶼、綠島、澎湖、金門、馬祖易有長浪發生,各海面及巴士海峽風浪亦將逐漸增大,易有3至5米以上浪高,尤其今(30)日東部、東南部沿海及蘭嶼浪高可達6米以上,請避免前往海邊活動。*陸上強風特報:颱風外圍環流影響,今(30)日蘭嶼、綠島、澎湖將有11至12級強陣風,桃園至雲林及東南部沿海空曠地區、恆春半島、馬祖有9至10級強陣風,其他沿海空曠地區及金門亦有較強陣風,請特別注意。*本警報單之颱風平均半徑約為300公里,詳細特性請參考本署颱風輔助說明(https:// [url]www.cwa.gov.tw/Data/typhoon/TY_PDF.pdf[/url])。
複製代碼

點評

終於爬上強颱等級了!!應該還有12小時的時間,也許還會再更強一點。  發表於 2024-10-30 08:55
回復

使用道具 舉報

該用戶從未簽到

kingchard2011|2024-10-30 11:02 | 顯示全部樓層
此文為自動發布
熱帶氣旋報文資料建檔

CWA:

  1. ENG_NAME:KONG-REY
  2. 中文名:康芮

  3. INIT
  4.     TIME 2024-10-30 02:00 UTC
  5.     LAT: 19.3 N  LON: 124.6 E
  6.     MOVEMENT: S 0 km/hr
  7.     MXWD: 51 m/s
  8.     GUST: 63 m/s
  9.     PRES: 925 hPa
  10.                
  11.     RADIUS OF OVER 15m/s WINDS: 300 km
  12.     - NE: 300 km
  13.     - SE: 300 km
  14.     - SW: 300 km
  15.     - NW: 300 km
  16.                     
  17.     RADIUS OF OVER 25m/s WINDS: 100 km
  18.     - NE: 100 km
  19.     - SE: 100 km
  20.     - SW: 100 km
  21.     - NW: 100 km
  22.                     
  23. +006
  24.     TIME 2024-10-30 06:00 UTC
  25.     LAT: 19.6 N  LON: 124.2 E
  26.     MOVEMENT: NW 15 km/hr
  27.     MXWD: 51 m/s
  28.     GUST: 63 m/s
  29.     PRES: 925 hPa
  30.                
  31. +012
  32.     TIME 2024-10-30 12:00 UTC
  33.     LAT: 20.1 N  LON: 123.5 E
  34.     MOVEMENT: NW 15 km/hr
  35.     MXWD: 51 m/s
  36.     GUST: 63 m/s
  37.     PRES: 925 hPa
  38.                
  39. +018
  40.     TIME 2024-10-30 18:00 UTC
  41.     LAT: 20.7 N  LON: 122.9 E
  42.     MOVEMENT: NW 15 km/hr
  43.     MXWD: 51 m/s
  44.     GUST: 63 m/s
  45.     PRES: 925 hPa
  46.                
  47. +024
  48.     TIME 2024-10-31 00:00 UTC
  49.     LAT: 21.5 N  LON: 122.1 E
  50.     MOVEMENT: NW 20 km/hr
  51.     MXWD: 51 m/s
  52.     GUST: 63 m/s
  53.     PRES: 925 hPa
  54.                
  55. +036
  56.     TIME 2024-10-31 12:00 UTC
  57.     LAT: 23.8 N  LON: 120.2 E
  58.     MOVEMENT: NW 27 km/hr
  59.     MXWD: 38 m/s
  60.     GUST: 48 m/s
  61.     PRES: 960 hPa
  62.                
  63. +048
  64.     TIME 2024-11-01 00:00 UTC
  65.     LAT: 25.7 N  LON: 119.7 E
  66.     MOVEMENT: NNW 18 km/hr
  67.     MXWD: 28 m/s
  68.     GUST: 35 m/s
  69.     PRES: 980 hPa
  70.                
  71. +060
  72.     TIME 2024-11-01 12:00 UTC
  73.     LAT: 28.3 N  LON: 121.7 E
  74.     MOVEMENT: NNE 29 km/hr
  75.     MXWD: 20 m/s
  76.     GUST: 28 m/s
  77.     PRES: 995 hPa
  78.                
  79. +072
  80.     TIME 2024-11-02 00:00 UTC
  81.     LAT: 30.5 N  LON: 124.4 E
  82.     MOVEMENT: NE 30 km/hr
  83.     MXWD: 15 m/s
  84.     GUST: 23 m/s
  85.     PRES: 1000 hPa
  86.                
複製代碼


JMA
  1. WTPQ51 RJTD 300000
  2. RSMC TROPICAL CYCLONE ADVISORY
  3. NAME  TY 2421 KONG-REY (2421)
  4. ANALYSIS
  5. PSTN  300000UTC 19.1N 124.8E GOOD
  6. MOVE  WNW 06KT
  7. PRES  925HPA
  8. MXWD  100KT
  9. GUST  140KT
  10. 50KT  120NM
  11. 30KT  325NM
  12. FORECAST
  13. 12HF  301200UTC 20.3N 123.6E 25NM 70%
  14. MOVE  NW 08KT
  15. PRES  915HPA
  16. MXWD  105KT
  17. GUST  150KT
  18. 24HF  310000UTC 22.1N 122.2E 35NM 70%
  19. MOVE  NW 11KT
  20. PRES  915HPA
  21. MXWD  105KT
  22. GUST  150KT
  23. 48HF  010000UTC 26.2N 120.2E 55NM 70%
  24. MOVE  NNW 11KT
  25. PRES  985HPA
  26. MXWD  050KT
  27. GUST  070KT
  28. 72HF  020000UTC 30.2N 124.7E 100NM 70% EXTRATROPICAL LOW =

複製代碼
回復

使用道具 舉報

該用戶從未簽到

kingchard2011|2024-10-30 11:40 | 顯示全部樓層
此文為自動發布
颱風警報報文資料建檔

CWA:

  1. 命名與位置:強烈颱風 康芮(國際命名 KONG-REY)30日11時的中心位置在北緯 19.4 度,東經 124.5 度,即在鵝鑾鼻的東南方約 470 公里之處。
  2. 強度與半徑:中心氣壓 915 百帕,近中心最大風速每秒 53 公尺(約每小時 191 公里),相當於 16 級風,瞬間最大陣風每秒 65 公尺(約每小時 234 公里),相當於 17 級風以上,七級風暴風半徑 320 公里,十級風暴風半徑 120 公里。
  3. 移速與預測:以每小時19公里速度,向西北進行,預測31日11時的中心位置在北緯 22.1 度,東經 121.7 度,即在鵝鑾鼻的東北東方約 80 公里之處。
  4. 颱風動態:根據最新資料顯示,第21號颱風過去三小時強度略為增強、暴風圈亦略為擴大,目前中心在鵝鑾鼻東南方海面,向西北移動,其暴風圈正逐漸進入巴士海峽,將對臺中以南及東半部地區構成威脅。
  5. 警戒區域及事項:海上:臺灣海峽、臺灣東半部海面、巴士海峽、東沙島海面航行及作業船隻應嚴加戒備。陸上:宜蘭、花蓮、臺東、南投、臺中、彰化、雲林、嘉義、臺南、高雄、屏東、恆春半島應嚴加戒備。
  6. 豪雨特報:颱風外圍環流影響,今(30)日至明(31)日宜蘭縣山區、花蓮縣山區有局部豪雨或大豪雨,新北市、基隆市、宜蘭縣、花蓮縣、臺東縣地區及臺北市山區有局部大雨或豪雨,桃園以北地區、恆春半島及蘭嶼、綠島有局部大雨發生的機率;請注意瞬間大雨,山區慎防坍方、落石及溪水暴漲。大豪雨地區:宜蘭縣、花蓮縣
  7. 注意事項:*今(30)日臺灣各沿海及蘭嶼、綠島、澎湖、金門、馬祖易有長浪發生,各海面及巴士海峽風浪亦將逐漸增大,易有3至5米以上浪高,尤其東部、東南部沿海及蘭嶼浪高可達6米以上,請避免前往海邊活動。*陸上強風特報:颱風外圍環流影響,今(30)日起蘭嶼、綠島、澎湖將有11至12級強陣風,桃園至雲林及東南部沿海空曠地區、恆春半島、馬祖有9至10級強陣風,其他沿海空曠地區及金門亦有較強陣風;明(31日)晨起風力逐漸增強,蘭嶼、綠島、澎湖將有12級或以上強陣風,恆春半島及馬祖有10級以上強陣風,請特別注意。*29日0時至30日11時出現較大雨量如下:臺北市擎天崗249.5毫米。*本警報單之颱風平均半徑約為320公里,詳細特性請參考本署颱風輔助說明(https:// [url]www.cwa.gov.tw/Data/typhoon/TY_PDF.pdf[/url])。
複製代碼

點評

風眼持續縮小中,能量越來越往中心集中,有機會挑戰西太年度風王!  發表於 2024-10-30 12:32
回復

使用道具 舉報

快速回覆
您需要登錄後才可以回帖 登錄 | 立即加入

本版積分規則

本平台僅供學術討論之用,預報應以氣象局為準

威普網站虛擬主機贊助公司

臺灣第一個天氣類型社群平台 即時天氣資訊、精準颱風動態

線上客服
FB傳送訊息
廣告行銷
精準行銷 物超所值
官方粉專
發佈 快速回復 返回頂部 返回列表