開啟輔助訪問
 找回密碼
 立即加入

2421 康芮 1958年後最晚登陸強颱 近28年最廣暴風半徑

簽到天數: 1990 天

[LV.Master]伴壇終老

ben811018|2024-10-30 13:22 | 顯示全部樓層
b13ca (4).gif rb-animated (7).gif

H9_EIR_R3_202410300510.jpg H9_VIS_R3_202410300510.jpg 康芮風雨時程.png
回復

使用道具 舉報

該用戶從未簽到

kingchard2011|2024-10-30 14:40 | 顯示全部樓層
此文為自動發布
颱風警報報文資料建檔

CWA:

  1. 命名與位置:強烈颱風 康芮(國際命名 KONG-REY)30日14時的中心位置在北緯 19.7 度,東經 124.2 度,即在鵝鑾鼻的東南方約 420 公里之處。
  2. 強度與半徑:中心氣壓 915 百帕,近中心最大風速每秒 53 公尺(約每小時 191 公里),相當於 16 級風,瞬間最大陣風每秒 65 公尺(約每小時 234 公里),相當於 17 級風以上,七級風暴風半徑 320 公里,十級風暴風半徑 120 公里。
  3. 移速與預測:以每小時20公里速度,向西北轉北北西進行,預測31日14時的中心位置在北緯 22.6 度,東經 121.5 度,即在鵝鑾鼻的東北方約 100 公里之處。
  4. 颱風動態:根據最新資料顯示,第21號颱風目前中心在鵝鑾鼻東南方海面,向西北轉北北西移動,其暴風圈正逐漸進入巴士海峽及臺灣東南部近海,將對新北以南、東半部地區及澎湖構成威脅。
  5. 警戒區域及事項:海上:臺灣附近各海面、巴士海峽及東沙島海面航行及作業船隻應嚴加戒備。陸上:宜蘭、花蓮、臺東、新北、桃園、新竹、苗栗、南投、臺中、彰化、雲林、嘉義、臺南、高雄、屏東、恆春半島、澎湖應嚴加戒備。
  6. 豪雨特報:颱風外圍環流影響,今(30)日至明(31)日宜蘭縣山區、花蓮縣山區有局部豪雨或大豪雨,新北市、基隆市、宜蘭縣、花蓮縣、臺東縣地區及臺北市山區有局部大雨或豪雨,桃園以北地區、恆春半島及蘭嶼、綠島有局部大雨發生的機率;請注意瞬間大雨,山區慎防坍方、落石及溪水暴漲。大豪雨地區:宜蘭縣、花蓮縣
  7. 注意事項:*今(30)日起臺灣附近各海面及巴士海峽風浪逐漸增大,易有5米以上浪高,尤其明(31)日東半部沿海可達10米以上、澎湖可達7米以上,各沿海並易有長浪發生,請避免前往海邊活動。*陸上強風特報:颱風外圍環流影響,今(30)日起蘭嶼、綠島、澎湖將有11至12級強陣風,桃園至雲林及東南部沿海空曠地區、恆春半島、馬祖有9至10級強陣風,其他沿海空曠地區及金門亦有較強陣風;明(31日)晨起風力逐漸增強,蘭嶼、綠島、澎湖將有12級或以上強陣風,恆春半島及馬祖有10級以上強陣風,請特別注意。*29日0時至30日14時出現較大雨量如下:臺北市擎天崗304毫米。*本警報單之颱風平均半徑約為320公里,詳細特性請參考本署颱風輔助說明(https:// [url]www.cwa.gov.tw/Data/typhoon/TY_PDF.pdf[/url])。
複製代碼
回復

使用道具 舉報

該用戶從未簽到

kingchard2011|2024-10-30 17:00 | 顯示全部樓層
此文為自動發布
熱帶氣旋報文資料建檔

CWA:

  1. ENG_NAME:KONG-REY
  2. 中文名:康芮

  3. INIT
  4.     TIME 2024-10-30 08:00 UTC
  5.     LAT: 20.0 N  LON: 124.0 E
  6.     MOVEMENT: WNW 24 km/hr
  7.     MXWD: 53 m/s
  8.     GUST: 65 m/s
  9.     PRES: 915 hPa
  10.                
  11.     RADIUS OF OVER 15m/s WINDS: 320 km
  12.     - NE: 330 km
  13.     - SE: 320 km
  14.     - SW: 280 km
  15.     - NW: 330 km
  16.                     
  17.     RADIUS OF OVER 25m/s WINDS: 120 km
  18.     - NE: 120 km
  19.     - SE: 120 km
  20.     - SW: 120 km
  21.     - NW: 120 km
  22.                     
  23. +006
  24.     TIME 2024-10-30 12:00 UTC
  25.     LAT: 20.2 N  LON: 123.6 E
  26.     MOVEMENT: NW 14 km/hr
  27.     MXWD: 53 m/s
  28.     GUST: 65 m/s
  29.     PRES: 915 hPa
  30.                
  31. +012
  32.     TIME 2024-10-30 18:00 UTC
  33.     LAT: 20.9 N  LON: 122.8 E
  34.     MOVEMENT: NW 19 km/hr
  35.     MXWD: 53 m/s
  36.     GUST: 65 m/s
  37.     PRES: 915 hPa
  38.                
  39. +018
  40.     TIME 2024-10-31 00:00 UTC
  41.     LAT: 21.7 N  LON: 122.1 E
  42.     MOVEMENT: NW 19 km/hr
  43.     MXWD: 53 m/s
  44.     GUST: 65 m/s
  45.     PRES: 915 hPa
  46.                
  47. +024
  48.     TIME 2024-10-31 06:00 UTC
  49.     LAT: 22.6 N  LON: 121.5 E
  50.     MOVEMENT: NNW 20 km/hr
  51.     MXWD: 53 m/s
  52.     GUST: 65 m/s
  53.     PRES: 915 hPa
  54.                
  55. +036
  56.     TIME 2024-10-31 18:00 UTC
  57.     LAT: 24.7 N  LON: 119.9 E
  58.     MOVEMENT: NW 24 km/hr
  59.     MXWD: 35 m/s
  60.     GUST: 45 m/s
  61.     PRES: 965 hPa
  62.                
  63. +048
  64.     TIME 2024-11-01 06:00 UTC
  65.     LAT: 27.0 N  LON: 120.7 E
  66.     MOVEMENT: NNE 22 km/hr
  67.     MXWD: 25 m/s
  68.     GUST: 33 m/s
  69.     PRES: 985 hPa
  70.                
  71. +072
  72.     TIME 2024-11-02 06:00 UTC
  73.     LAT: 30.0 N  LON: 126.5 E
  74.     MOVEMENT: ENE 27 km/hr
  75.     MXWD: 15 m/s
  76.     GUST: 23 m/s
  77.     PRES: 1000 hPa
  78.                
複製代碼


JMA
  1. WTPQ51 RJTD 300600
  2. RSMC TROPICAL CYCLONE ADVISORY
  3. NAME  TY 2421 KONG-REY (2421)
  4. ANALYSIS
  5. PSTN  300600UTC 19.8N 124.3E GOOD
  6. MOVE  NNW 08KT
  7. PRES  925HPA
  8. MXWD  100KT
  9. GUST  140KT
  10. 50KT  120NM
  11. 30KT  325NM
  12. FORECAST
  13. 12HF  301800UTC 20.9N 122.8E 25NM 70%
  14. MOVE  NW 09KT
  15. PRES  915HPA
  16. MXWD  105KT
  17. GUST  150KT
  18. 24HF  310600UTC 23.0N 120.9E 35NM 70%
  19. MOVE  NW 14KT
  20. PRES  925HPA
  21. MXWD  100KT
  22. GUST  140KT
  23. 48HF  010600UTC 27.1N 120.5E 55NM 70%
  24. MOVE  N 10KT
  25. PRES  990HPA
  26. MXWD  050KT
  27. GUST  070KT
  28. 72HF  020600UTC 31.1N 126.7E 120NM 70% EXTRATROPICAL LOW =

複製代碼
回復

使用道具 舉報

該用戶從未簽到

kingchard2011|2024-10-30 17:40 | 顯示全部樓層
此文為自動發布
颱風警報報文資料建檔

CWA:

  1. 命名與位置:強烈颱風 康芮(國際命名 KONG-REY)30日17時的中心位置在北緯 20.1 度,東經 123.8 度,即在鵝鑾鼻的東南東方約 360 公里之處。
  2. 強度與半徑:中心氣壓 915 百帕,近中心最大風速每秒 53 公尺(約每小時 191 公里),相當於 16 級風,瞬間最大陣風每秒 65 公尺(約每小時 234 公里),相當於 17 級風以上,七級風暴風半徑 320 公里,十級風暴風半徑 120 公里。
  3. 移速與預測:以每小時20轉23公里速度,向西北進行,預測31日17時的中心位置在北緯 23.4 度,東經 120.8 度,即在臺東的北北西方約 80 公里之處。
  4. 颱風動態:根據最新資料顯示,第21號颱風目前中心在鵝鑾鼻東南東方海面,向西北移動,其暴風圈正逐漸進入巴士海峽及臺灣東南部近海,將對臺灣各地及澎湖構成威脅。
  5. 警戒區域及事項:海上:臺灣附近各海面、巴士海峽及東沙島海面航行及作業船隻應嚴加戒備。陸上:臺灣各地區及澎湖應嚴加戒備,並防強風豪雨。
  6. 豪雨特報:颱風及其外圍環流影響,易有短延時強降雨,今(30)日至明(30)日宜蘭縣山區及花蓮縣山區有局部豪雨或大豪雨,新北市、基隆市、宜蘭縣、花蓮縣、臺東縣地區及臺北市山區有局部大雨或豪雨,桃園以北地區、恆春半島、蘭嶼、綠島有局部大雨發生的機率,請注意雷擊及強陣風,山區嚴防坍方、落石、土石流及山洪暴發,低窪地區請慎防淹水,民眾應避免進入山區及河川活動。大豪雨地區:宜蘭縣、花蓮縣。
  7. 注意事項:*今(30日)晚至明(31)日臺灣附近各海面及巴士海峽風浪明顯增大,易有5米以上浪高,尤其明日東半部沿海可達10米以上、澎湖可達7米以上,各沿海並易有長浪發生,請避免前往海邊活動。*陸上強風特報:颱風及其外圍環流影響,今(30日)晚蘭嶼、綠島、澎湖有11至12級強陣風,桃園至雲林及東南部沿海空曠地區、恆春半島、馬祖有9至10級強陣風,其他沿海空曠地區及金門亦有較強陣風;明(31)清晨至上午隨颱風逐漸接近,臺灣各地及各離島易有9至10級強陣風,尤其花蓮地區、恆春半島、馬祖、澎湖及桃園以南沿海空曠地區有11級以上強陣風,臺東地區及蘭嶼、綠島有14級以上強陣風,請特別注意。*室外懸掛物、招牌、圍籬及鷹架等應加強固牢,陽臺之盆景等應妥善放置,漲潮期間沿海低窪地區慎防海水倒灌及積淹水。*29日0時至30日17時出現較大雨量如下:臺北市擎天崗358毫米。*本警報單之颱風平均半徑約為320公里,詳細特性請參考本署颱風輔助說明(https:// [url]www.cwa.gov.tw/Data/typhoon/TY_PDF.pdf[/url])。
複製代碼
回復

使用道具 舉報

該用戶從未簽到

林帥君|2024-10-30 19:10 來自手機 | 顯示全部樓層
kingchard2011 發表於 2024-10-30 17:40
此文為自動發布
颱風警報報文資料建檔


這應該是今年的風王了

點評

不是喔 ..風王是摩羯  發表於 2024-10-30 20:19
回復

使用道具 舉報

簽到天數: 582 天

[LV.9]以壇為家II

蜜露|2024-10-30 20:32 | 顯示全部樓層
本帖最後由 蜜露 於 2024-10-30 20:35 編輯


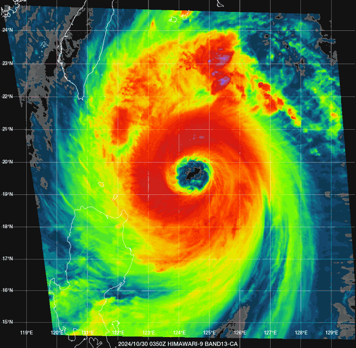
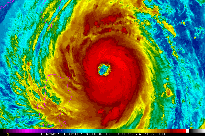
這個颱風今天上到了巔峰的強度.
清晨的時候是對流最強,現在是風眼比較清空.

未來有可能會置換,我覺得以這個移動速度,可能是維持這強度碰到台灣.
也有可能置換剛完成就到達了台灣了.

23W_OTT (4).png

20241030_092954_WP232024_gmi_GPM_89H_113kts_99p73_res1p0-cr100-akima-bgInfrared-Gray.png

這個颱風就是眼睛很大、風場很大的特點.
但是這個眼睛實在是太大了,要成為Cat.5就有很高的難度.
強度會被限制了.

現在的型態看下去就是一個高級Cat.4  實力整體與山陀兒巔峰時差不多.


話說這次這台灣大學的追風計畫有出動Astra噴射機 經過颱風周圍上空.
暴風圈得出至少半徑320公里

2024-Kong-Rey-route.gif

可惜沒有像美國那樣飛機飛到颱風中心使用投落送探測氣壓.來更精準颱風強度.

但是有準確風場很大,CWA參考了台灣大學的追風計畫 給出半徑320公里

繼2016梅姬颱風後 全台灣再度警戒的颱風..可能這次北部都有感覺.

如果未來路徑是在台東的成功以北 , 北部感受搖滾 . 如果以南...南部可能又要小心了.



點評

大眼置換成巨眼@@ 還是會就乾脆維持雙眼登陸  發表於 2024-10-31 01:24
alu
台灣的飛機比較小要飛到颱風中心太難了  發表於 2024-10-30 20:44
回復

使用道具 舉報

該用戶從未簽到

kingchard2011|2024-10-30 20:40 | 顯示全部樓層
此文為自動發布
颱風警報報文資料建檔

CWA:

  1. 命名與位置:強烈颱風 康芮(國際命名 KONG-REY)30日20時的中心位置在北緯 20.3 度,東經 123.7 度,即在鵝鑾鼻的東南東方約 340 公里之處。
  2. 強度與半徑:中心氣壓 915 百帕,近中心最大風速每秒 53 公尺(約每小時 191 公里),相當於 16 級風,瞬間最大陣風每秒 65 公尺(約每小時 234 公里),相當於 17 級風以上,七級風暴風半徑 320 公里,十級風暴風半徑 120 公里。
  3. 移速與預測:以每小時21轉25公里速度,向西北進行,預測31日20時的中心位置在北緯 23.8 度,東經 120.3 度,即在臺東的西北方約 140 公里之處。
  4. 颱風動態:根據最新資料顯示,第21號颱風目前中心在鵝鑾鼻東南東方海面,向西北移動,其暴風圈已進入巴士海峽及臺灣東南部近海,將對臺灣各地及澎湖、金門構成威脅。
  5. 警戒區域及事項:海上:臺灣附近各海面、巴士海峽及東沙島海面航行及作業船隻應嚴加戒備。陸上:臺灣各地區及澎湖、金門應嚴加戒備,並防強風豪雨。
  6. 豪雨特報:颱風及其外圍環流影響,易有短延時強降雨,今(30日)晚至明(31)日宜蘭縣山區及花蓮縣山區有局部豪雨或大豪雨,新北市、基隆市、宜蘭縣、花蓮縣、臺東縣地區及臺北市山區有局部大雨或豪雨,桃園以北地區及新竹、臺中山區、恆春半島、蘭嶼、綠島有局部大雨發生的機率,請注意雷擊及強陣風,山區嚴防坍方、落石、土石流及山洪暴發,低窪地區請慎防淹水,民眾應避免進入山區及河川活動。大豪雨地區:宜蘭縣、花蓮縣。
  7. 注意事項:*今(30日)晚至明(31)日臺灣附近各海面及巴士海峽風浪明顯增大,易有5米以上浪高,尤其明日東半部沿海可達10米以上、澎湖可達7米以上,各沿海並易有長浪發生,請避免前往海邊活動。*陸上強風特報:颱風及其外圍環流影響,今(30日)晚蘭嶼、綠島、澎湖有11至12級強陣風,桃園至雲林及東南部沿海空曠地區、恆春半島、馬祖有9至10級強陣風,其他沿海空曠地區及金門亦有較強陣風;明(31)清晨至上午隨颱風逐漸接近,臺灣各地及各離島易有9至10級強陣風,尤其花蓮地區、恆春半島、馬祖、澎湖及桃園以南沿海空曠地區有11級以上強陣風,臺東地區及蘭嶼、綠島有14級以上強陣風,請特別注意。*室外懸掛物、招牌、圍籬及鷹架等應加強固牢,陽臺之盆景等應妥善放置,漲潮期間沿海低窪地區慎防海水倒灌及積淹水。*29日0時至30日20時出現較大雨量如下:臺北市擎天崗392毫米。*本警報單之颱風平均半徑約為320公里,詳細特性請參考本署颱風輔助說明(https:// [url]www.cwa.gov.tw/Data/typhoon/TY_PDF.pdf[/url])。
複製代碼
回復

使用道具 舉報

該用戶從未簽到

kingchard2011|2024-10-30 23:40 | 顯示全部樓層
此文為自動發布
颱風警報報文資料建檔

CWA:

  1. 命名與位置:強烈颱風 康芮(國際命名 KONG-REY)30日23時的中心位置在北緯 20.7 度,東經 123.1 度,即在鵝鑾鼻的東南東方約 260 公里之處。
  2. 強度與半徑:中心氣壓 915 百帕,近中心最大風速每秒 53 公尺(約每小時 191 公里),相當於 16 級風,瞬間最大陣風每秒 65 公尺(約每小時 234 公里),相當於 17 級風以上,七級風暴風半徑 320 公里,十級風暴風半徑 150 公里。
  3. 移速與預測:以每小時23轉19公里速度,向西北進行,預測31日23時的中心位置在北緯 24.4 度,東經 120.0 度,即在臺東的北北西方約 210 公里之處。
  4. 颱風動態:根據最新資料顯示,第21號颱風目前中心在鵝鑾鼻東南東方海面,向西北移動,其暴風圈逐漸進入臺灣東南部、東部及南部陸地,將對臺灣各地及澎湖、金門、馬祖構成威脅。
  5. 警戒區域及事項:海上:臺灣附近各海面、巴士海峽及東沙島海面航行及作業船隻應嚴加戒備。陸上:臺灣各地區及澎湖、金門、馬祖應嚴加戒備,並防強風豪雨。
  6. 豪雨特報:颱風及其外圍環流影響,易有短延時強降雨,今(30日)晚至明(31)日宜蘭縣山區及花蓮縣山區有局部大豪雨或超大豪雨,宜蘭縣、花蓮縣、臺東縣地區有局部豪雨或大豪雨,新北市、基隆市地區及臺北市山區、桃園市山區、新竹縣山區、苗栗縣山區、臺中市山區、南投縣山區及蘭嶼、綠島有局部大雨或豪雨,桃園以北地區及恆春半島有局部大雨發生的機率,請注意雷擊及強陣風,山區嚴防坍方、落石、土石流及山洪暴發,低窪地區請慎防淹水,民眾應避免進入山區及河川活動。超大豪雨地區:宜蘭縣、花蓮縣。大豪雨地區:臺東縣。
  7. 注意事項:*今(30日)晚至明(31)日臺灣附近各海面及巴士海峽風浪明顯增大,易有5米以上浪高,尤其明日東半部沿海可達10米以上、澎湖可達7米以上,各沿海並易有長浪發生,請避免前往海邊活動。*陸上強風特報:颱風及其外圍環流影響,今(30日)晚蘭嶼有13級以上強陣風,綠島、澎湖有11至12級強陣風,桃園至雲林及東南部沿海空曠地區、恆春半島、馬祖有9至10級強陣風,其他沿海空曠地區及金門亦有較強陣風;明(31)日颱風影響,臺東地區及蘭嶼、綠島、澎湖將有14級以上強陣風,新北至高雄及花蓮地區、宜蘭及屏東沿海空曠地區、恆春半島、馬祖有11級以上強陣風,基隆、臺北、南投、嘉義市、金門亦有9至10級強陣風,請特別注意。*室外懸掛物、招牌、圍籬及鷹架等應加強固牢,陽臺之盆景等應妥善放置,漲潮期間沿海低窪地區慎防海水倒灌及積淹水。*29日0時至30日23時出現較大雨量如下:臺北市擎天崗428毫米、宜蘭縣鴛鴦湖332.5、新北市泰平206.5毫米;較大陣風區域如下:蘭嶼17級以上、東吉島11級、成功10級。*本警報單之颱風平均半徑約為320公里,詳細特性請參考本署颱風輔助說明(https:// [url]www.cwa.gov.tw/Data/typhoon/TY_PDF.pdf[/url])。
複製代碼
回復

使用道具 舉報

快速回覆
您需要登錄後才可以回帖 登錄 | 立即加入

本版積分規則

本平台僅供學術討論之用,預報應以氣象局為準

威普網站虛擬主機贊助公司

臺灣第一個天氣類型社群平台 即時天氣資訊、精準颱風動態

線上客服
FB傳送訊息
廣告行銷
精準行銷 物超所值
官方粉專
發佈 快速回復 返回頂部 返回列表