開啟輔助訪問
 找回密碼
 立即加入

2421 康芮 1958年後最晚登陸強颱 近28年最廣暴風半徑

簽到天數: 3294 天

[LV.Master]伴壇終老

t02436|2024-10-31 00:42 | 顯示全部樓層
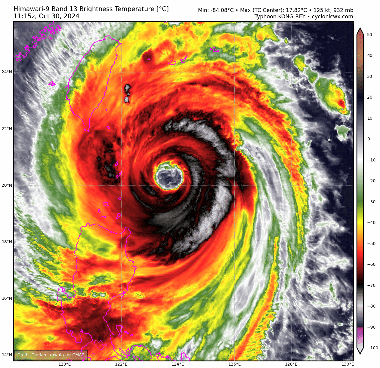
快速西北移動,存圖紀錄
himawari9_ir_23W.gif
himawari9_23W_band09_202410301615.png
cira-rammb-slider---himawari---full_disk---geocolor-opacity-100---20241030160000.png
himawari9_ir_23W_202410301340.gif
CV1_3600_202410310020.png
回復

使用道具 舉報

簽到天數: 1990 天

[LV.Master]伴壇終老

ben811018|2024-10-31 00:55 | 顯示全部樓層
S__113631259.jpg
回復

使用道具 舉報

該用戶從未簽到

kingchard2011|2024-10-31 02:40 | 顯示全部樓層
此文為自動發布
颱風警報報文資料建檔

CWA:

  1. 命名與位置:強烈颱風 康芮(國際命名 KONG-REY)31日2時的中心位置在北緯 21.0 度,東經 122.8 度,即在鵝鑾鼻的東南東方約 220 公里之處。
  2. 強度與半徑:中心氣壓 915 百帕,近中心最大風速每秒 53 公尺(約每小時 191 公里),相當於 16 級風,瞬間最大陣風每秒 65 公尺(約每小時 234 公里),相當於 17 級風以上,七級風暴風半徑 320 公里,十級風暴風半徑 150 公里。
  3. 移速與預測:以每小時25轉13公里速度,向西北轉北北西進行,預測1日2時的中心位置在北緯 24.7 度,東經 120.0 度,即在臺東的北北西方約 240 公里之處。
  4. 颱風動態:根據最新資料顯示,第21號颱風目前中心在鵝鑾鼻東南東方海面,向西北轉北北西移動,其暴風圈已進入臺灣東南部、東部及高雄以南陸地,將對臺灣各地及澎湖、金門、馬祖構成威脅。
  5. 警戒區域及事項:海上:臺灣附近各海面、巴士海峽及東沙島海面航行及作業船隻應嚴加戒備。陸上:臺灣各地區及澎湖、金門、馬祖應嚴加戒備,並防強風豪雨。
  6. 豪雨特報:颱風及其外圍環流影響,易有短延時強降雨,今(31)日宜蘭縣山區及花蓮縣山區有局部大豪雨或超大豪雨,宜蘭縣、花蓮縣、臺東縣地區及臺北市山區有局部豪雨或大豪雨,臺北市、新北市、基隆市地區、蘭嶼、綠島及桃園市山區、新竹縣山區、苗栗縣山區、臺中市山區、南投縣山區有局部大雨或豪雨,桃園地區及恆春半島有局部大雨發生的機率,請注意雷擊及強陣風,山區嚴防坍方、落石、土石流及山洪暴發,低窪地區請慎防淹水,民眾應避免進入山區及河川活動。超大豪雨地區:宜蘭縣、花蓮縣。大豪雨地區:臺東縣。
  7. 注意事項:*今(31)日臺灣附近各海面及巴士海峽風浪明顯增大,易有5米以上浪高,尤其東半部沿海可達10米以上、澎湖可達7米以上,各沿海並易有長浪發生,請避免前往海邊活動。*陸上強風特報:颱風影響,蘭嶼已有14級以上強陣風,今(31)日臺東地區及綠島、澎湖亦將有14級以上強陣風,新北至高雄及花蓮地區、宜蘭及屏東沿海空曠地區、恆春半島、馬祖有11級以上強陣風,基隆、臺北、南投、嘉義市、金門亦有9至10級強陣風,請特別注意。*室外懸掛物、招牌、圍籬及鷹架等應加強固牢,陽臺之盆景等應妥善放置,漲潮期間沿海低窪地區慎防海水倒灌及積淹水。*29日0時至31日2時出現較大雨量如下:臺北市擎天崗486毫米、宜蘭縣鴛鴦湖485、新北市泰平261毫米、新竹縣西丘斯山201.5毫米;較大陣風區域如下:蘭嶼17級以上、東吉島12級、成功10級。*本警報單之颱風平均半徑約為320公里,詳細特性請參考本署颱風輔助說明(https:// [url]www.cwa.gov.tw/Data/typhoon/TY_PDF.pdf[/url])。
複製代碼
回復

使用道具 舉報

該用戶從未簽到

kingchard2011|2024-10-31 05:00 | 顯示全部樓層
此文為自動發布
熱帶氣旋報文資料建檔

CWA:

  1. ENG_NAME:KONG-REY
  2. 中文名:康芮

  3. INIT
  4.     TIME 2024-10-30 20:00 UTC
  5.     LAT: 21.3 N  LON: 122.7 E
  6.     MOVEMENT: NNW 24 km/hr
  7.     MXWD: 53 m/s
  8.     GUST: 65 m/s
  9.     PRES: 915 hPa
  10.                
  11.     RADIUS OF OVER 15m/s WINDS: 320 km
  12.     - NE: 330 km
  13.     - SE: 320 km
  14.     - SW: 300 km
  15.     - NW: 330 km
  16.                     
  17.     RADIUS OF OVER 25m/s WINDS: 150 km
  18.     - NE: 150 km
  19.     - SE: 150 km
  20.     - SW: 150 km
  21.     - NW: 150 km
  22.                     
  23. +006
  24.     TIME 2024-10-31 00:00 UTC
  25.     LAT: 21.8 N  LON: 122.1 E
  26.     MOVEMENT: NW 19 km/hr
  27.     MXWD: 53 m/s
  28.     GUST: 65 m/s
  29.     PRES: 915 hPa
  30.                
  31. +012
  32.     TIME 2024-10-31 06:00 UTC
  33.     LAT: 22.9 N  LON: 121.3 E
  34.     MOVEMENT: NW 25 km/hr
  35.     MXWD: 51 m/s
  36.     GUST: 63 m/s
  37.     PRES: 925 hPa
  38.                
  39. +018
  40.     TIME 2024-10-31 12:00 UTC
  41.     LAT: 24.0 N  LON: 120.2 E
  42.     MOVEMENT: NW 28 km/hr
  43.     MXWD: 40 m/s
  44.     GUST: 50 m/s
  45.     PRES: 950 hPa
  46.                
  47. +024
  48.     TIME 2024-10-31 18:00 UTC
  49.     LAT: 24.7 N  LON: 120.0 E
  50.     MOVEMENT: NNW 13 km/hr
  51.     MXWD: 33 m/s
  52.     GUST: 43 m/s
  53.     PRES: 970 hPa
  54.                
  55. +030
  56.     TIME 2024-11-01 00:00 UTC
  57.     LAT: 25.9 N  LON: 120.0 E
  58.     MOVEMENT: N 22 km/hr
  59.     MXWD: 28 m/s
  60.     GUST: 37 m/s
  61.     PRES: 979 hPa
  62.                
  63. +036
  64.     TIME 2024-11-01 06:00 UTC
  65.     LAT: 27.1 N  LON: 120.4 E
  66.     MOVEMENT: NNE 23 km/hr
  67.     MXWD: 23 m/s
  68.     GUST: 30 m/s
  69.     PRES: 988 hPa
  70.                
  71. +048
  72.     TIME 2024-11-01 18:00 UTC
  73.     LAT: 29.3 N  LON: 122.8 E
  74.     MOVEMENT: NE 28 km/hr
  75.     MXWD: 18 m/s
  76.     GUST: 25 m/s
  77.     PRES: 998 hPa
  78.                
  79. +072
  80.     TIME 2024-11-02 18:00 UTC
  81.     LAT: 31.5 N  LON: 130.9 E
  82.     MOVEMENT: ENE 34 km/hr
  83.     MXWD: 15 m/s
  84.     GUST: 23 m/s
  85.     PRES: 1000 hPa
  86.                
複製代碼


JMA
  1. WTPQ51 RJTD 301800
  2. RSMC TROPICAL CYCLONE ADVISORY
  3. NAME  TY 2421 KONG-REY (2421)
  4. ANALYSIS
  5. PSTN  301800UTC 21.0N 122.9E GOOD
  6. MOVE  NW 10KT
  7. PRES  935HPA
  8. MXWD  100KT
  9. GUST  140KT
  10. 50KT  120NM
  11. 30KT  325NM EAST 180NM WEST
  12. FORECAST
  13. 12HF  310600UTC 23.2N 121.0E 25NM 70%
  14. MOVE  NW 14KT
  15. PRES  935HPA
  16. MXWD  100KT
  17. GUST  140KT
  18. 24HF  311800UTC 24.9N 120.0E 35NM 70%
  19. MOVE  NNW 10KT
  20. PRES  990HPA
  21. MXWD  055KT
  22. GUST  080KT
  23. 48HF  011800UTC 29.6N 122.9E 55NM 70% EXTRATROPICAL LOW =

複製代碼
回復

使用道具 舉報

簽到天數: 1151 天

[LV.10]以壇為家III

dawn1210|2024-10-31 05:21 | 顯示全部樓層
蘭嶼測站3點開始持續吹17級風,目前最高的是4:40的59.1m/s,瞬間陣風目前最強是4:07的73.6m/s
蘭嶼_467620_20241031_2024-10-31 04_50_00.png
未命名10310500.png
回復

使用道具 舉報

該用戶從未簽到

kingchard2011|2024-10-31 05:40 | 顯示全部樓層
此文為自動發布
颱風警報報文資料建檔

CWA:

  1. 命名與位置:強烈颱風 康芮(國際命名 KONG-REY)31日5時的中心位置在北緯 21.4 度,東經 122.6 度,即在鵝鑾鼻的東南東方約 180 公里之處。
  2. 強度與半徑:中心氣壓 915 百帕,近中心最大風速每秒 53 公尺(約每小時 191 公里),相當於 16 級風,瞬間最大陣風每秒 65 公尺(約每小時 234 公里),相當於 17 級風以上,七級風暴風半徑 320 公里,十級風暴風半徑 150 公里。
  3. 移速與預測:以每小時28轉19公里速度,向西北轉北進行,預測1日5時的中心位置在北緯 25.3 度,東經 120.1 度,即在馬祖的南南東方約 100 公里之處。
  4. 颱風動態:根據最新資料顯示,第21號颱風目前中心在鵝鑾鼻東南東方海面,向西北轉北移動,其暴風圈已進入花蓮、臺東及南投、嘉義以南陸地,對臺灣各地及澎湖、金門、馬祖構成威脅。
  5. 警戒區域及事項:海上:臺灣附近各海面、巴士海峽及東沙島海面航行及作業船隻應嚴加戒備。陸上:臺灣各地區及澎湖、金門、馬祖應嚴加戒備,並防強風豪雨。
  6. 豪雨特報:颱風及其外圍環流影響,易有短延時強降雨,今(31)日宜蘭縣山區及花蓮縣山區有局部大豪雨或超大豪雨,宜蘭縣、花蓮縣、臺東縣地區及臺北市山區有局部豪雨或大豪雨,臺北市、新北市、基隆市地區、恆春半島、蘭嶼、綠島及桃園市山區、新竹縣山區、苗栗縣山區、臺中市山區、南投縣山區有局部大雨或豪雨,桃園及新竹地區局部大雨發生的機率,請注意雷擊及強陣風,山區嚴防坍方、落石、土石流及山洪暴發,低窪地區請慎防淹水,民眾應避免進入山區及河川活動。超大豪雨地區:宜蘭縣、花蓮縣。大豪雨地區:臺北市、臺東縣。
  7. 注意事項:*今(31)日臺灣附近各海面及巴士海峽風浪明顯偏大,易有5米以上浪高,尤其東半部沿海可達10米以上、澎湖可達7米以上,各沿海並易有長浪發生,請避免前往海邊活動。*陸上強風特報:颱風影響,蘭嶼、綠島已有14級以上強陣風,今(31)日臺東地區及澎湖亦將有14級以上強陣風,新北至高雄及花蓮地區、宜蘭及屏東沿海空曠地區、恆春半島、馬祖有11級以上強陣風,基隆、臺北、南投、嘉義市、金門亦有9至10級強陣風,請特別注意。*室外懸掛物、招牌、圍籬及鷹架等應加強固牢,陽臺之盆景等應妥善放置,漲潮期間沿海低窪地區慎防海水倒灌及積淹水。*29日0時至31日5時出現較大雨量如下:宜蘭縣鴛鴦湖610毫米,臺北市擎天崗554毫米,新北市水利署火燒寮311毫米,新竹縣西丘斯山269毫米;較大陣風區域如下:蘭嶼17級以上,綠島15級,東吉島13級,成功、新屋11級。*本警報單之颱風平均半徑約為320公里,詳細特性請參考本署颱風輔助說明(https:// [url]www.cwa.gov.tw/Data/typhoon/TY_PDF.pdf[/url])。
複製代碼
回復

使用道具 舉報

該用戶從未簽到

kingchard2011|2024-10-31 08:40 | 顯示全部樓層
此文為自動發布
颱風警報報文資料建檔

CWA:

  1. 命名與位置:強烈颱風 康芮(國際命名 KONG-REY)31日8時的中心位置在北緯 21.8 度,東經 122.2 度,即在鵝鑾鼻的東方約 130 公里之處。
  2. 強度與半徑:中心氣壓 925 百帕,近中心最大風速每秒 51 公尺(約每小時 184 公里),相當於 16 級風,瞬間最大陣風每秒 63 公尺(約每小時 227 公里),相當於 17 級風以上,七級風暴風半徑 320 公里,十級風暴風半徑 150 公里。
  3. 移速與預測:以每小時28轉19公里速度,向西北轉北進行,預測1日8時的中心位置在北緯 25.9 度,東經 120.2 度,即在馬祖的東南方約 40 公里之處。
  4. 颱風動態:根據最新資料顯示,第21號颱風過去3小時強度稍減弱,中心目前在鵝鑾鼻東方海面,向西北轉北移動,其暴風圈已進入宜蘭、花蓮、臺東及新竹以南陸地,對臺灣各地及澎湖、金門、馬祖構成威脅。
  5. 警戒區域及事項:海上:臺灣附近各海面、巴士海峽及東沙島海面航行及作業船隻應嚴加戒備。陸上:臺灣各地區及澎湖、金門、馬祖應嚴加戒備,並防強風豪雨。
  6. 豪雨特報:颱風及其外圍環流影響,易有短延時強降雨,今(31)日宜蘭縣山區、花蓮縣山區及臺中市山區(和平區)有局部大豪雨或超大豪雨,宜蘭縣、花蓮縣、臺東縣、臺北市地區及新北市山區、新竹縣山區有局部豪雨或大豪雨,新北市、桃園市、基隆市地區、恆春半島、蘭嶼、綠島及苗栗縣山區、南投縣山區有局部大雨或豪雨,新竹地區及嘉義、高雄、屏東山區有局部大雨發生的機率,請注意雷擊及強陣風,山區嚴防坍方、落石、土石流及山洪暴發,低窪地區請慎防淹水,民眾應避免進入山區及河川活動。超大豪雨地區:宜蘭縣、花蓮縣、臺中市。大豪雨地區:臺北市、新北市、新竹縣、臺東縣。
  7. 注意事項:*今(31)日臺灣附近各海面及巴士海峽風浪明顯偏大,易有5米以上浪高,尤其東半部沿海可達10米以上、澎湖可達7米以上,各沿海並易有長浪發生,請避免前往海邊活動。*陸上強風特報:颱風影響,蘭嶼、綠島已有14級以上強陣風,今(31)日臺東地區及澎湖亦將有14級以上強陣風,新北至高雄及花蓮地區、宜蘭及屏東沿海空曠地區、恆春半島、馬祖有11級以上強陣風,基隆、臺北、南投、嘉義市、金門亦有9至10級強陣風,請特別注意。*室外懸掛物、招牌、圍籬及鷹架等應加強固牢,陽臺之盆景等應妥善放置,漲潮期間沿海低窪地區慎防海水倒灌及積淹水。*29日0時至31日8時出現較大雨量如下:宜蘭縣鴛鴦湖823.5毫米,臺北市擎天崗581.5毫米,新北市水利署火燒寮344毫米,新竹縣西丘斯山338毫米,花蓮縣赤柯山310.5毫米,臺東縣樟原232毫米,基隆市五堵201毫米;較大陣風區域如下:蘭嶼17級以上,綠島15級,東吉島13級,成功、新屋、花蓮11級,大武、臺東10級。*本警報單之颱風平均半徑約為320公里,詳細特性請參考本署颱風輔助說明(https:// [url]www.cwa.gov.tw/Data/typhoon/TY_PDF.pdf[/url])。
複製代碼
回復

使用道具 舉報

該用戶從未簽到

kingchard2011|2024-10-31 11:00 | 顯示全部樓層
此文為自動發布
熱帶氣旋報文資料建檔

CWA:

  1. ENG_NAME:KONG-REY
  2. 中文名:康芮

  3. INIT
  4.     TIME 2024-10-31 02:00 UTC
  5.     LAT: 22.2 N  LON: 121.8 E
  6.     MOVEMENT: NW 30 km/hr
  7.     MXWD: 51 m/s
  8.     GUST: 63 m/s
  9.     PRES: 925 hPa
  10.                
  11.     RADIUS OF OVER 15m/s WINDS: 320 km
  12.     - NE: 330 km
  13.     - SE: 320 km
  14.     - SW: 300 km
  15.     - NW: 330 km
  16.                     
  17.     RADIUS OF OVER 25m/s WINDS: 150 km
  18.     - NE: 150 km
  19.     - SE: 150 km
  20.     - SW: 150 km
  21.     - NW: 150 km
  22.                     
  23. +006
  24.     TIME 2024-10-31 06:00 UTC
  25.     LAT: 23.0 N  LON: 121.3 E
  26.     MOVEMENT: NW 27 km/hr
  27.     MXWD: 51 m/s
  28.     GUST: 63 m/s
  29.     PRES: 925 hPa
  30.                
  31. +012
  32.     TIME 2024-10-31 12:00 UTC
  33.     LAT: 23.9 N  LON: 120.0 E
  34.     MOVEMENT: NW 28 km/hr
  35.     MXWD: 38 m/s
  36.     GUST: 48 m/s
  37.     PRES: 960 hPa
  38.                
  39. +018
  40.     TIME 2024-10-31 18:00 UTC
  41.     LAT: 24.9 N  LON: 120.0 E
  42.     MOVEMENT: N 18 km/hr
  43.     MXWD: 30 m/s
  44.     GUST: 38 m/s
  45.     PRES: 975 hPa
  46.                
  47. +024
  48.     TIME 2024-11-01 00:00 UTC
  49.     LAT: 25.9 N  LON: 120.2 E
  50.     MOVEMENT: N 19 km/hr
  51.     MXWD: 25 m/s
  52.     GUST: 33 m/s
  53.     PRES: 985 hPa
  54.                
  55. +036
  56.     TIME 2024-11-01 12:00 UTC
  57.     LAT: 28.7 N  LON: 122.0 E
  58.     MOVEMENT: NNE 30 km/hr
  59.     MXWD: 20 m/s
  60.     GUST: 28 m/s
  61.     PRES: 995 hPa
  62.                
  63. +048
  64.     TIME 2024-11-02 00:00 UTC
  65.     LAT: 30.0 N  LON: 124.9 E
  66.     MOVEMENT: ENE 26 km/hr
  67.     MXWD: 15 m/s
  68.     GUST: 23 m/s
  69.     PRES: 1000 hPa
  70.                
複製代碼


JMA
  1. WTPQ51 RJTD 310000
  2. RSMC TROPICAL CYCLONE ADVISORY
  3. NAME  TY 2421 KONG-REY (2421)
  4. ANALYSIS
  5. PSTN  310000UTC 21.9N 122.2E GOOD
  6. MOVE  NW 11KT
  7. PRES  935HPA
  8. MXWD  100KT
  9. GUST  140KT
  10. 50KT  120NM
  11. 30KT  325NM EAST 180NM WEST
  12. FORECAST
  13. 12HF  311200UTC 24.0N 120.0E 25NM 70%
  14. MOVE  NW 15KT
  15. PRES  985HPA
  16. MXWD  060KT
  17. GUST  085KT
  18. 24HF  010000UTC 26.1N 120.3E 35NM 70%
  19. MOVE  N 11KT
  20. PRES  992HPA
  21. MXWD  050KT
  22. GUST  070KT
  23. 48HF  020000UTC 30.1N 125.1E 70NM 70% EXTRATROPICAL LOW =

複製代碼
回復

使用道具 舉報

快速回覆
您需要登錄後才可以回帖 登錄 | 立即加入

本版積分規則

本平台僅供學術討論之用,預報應以氣象局為準

威普網站虛擬主機贊助公司

臺灣第一個天氣類型社群平台 即時天氣資訊、精準颱風動態

線上客服
FB傳送訊息
廣告行銷
精準行銷 物超所值
官方粉專
發佈 快速回復 返回頂部 返回列表