開啟輔助訪問
 找回密碼
 立即加入

2421 康芮 1958年後最晚登陸強颱 近28年最廣暴風半徑

該用戶從未簽到

kingchard2011|2024-10-31 11:40 | 顯示全部樓層
此文為自動發布
颱風警報報文資料建檔

CWA:

  1. 命名與位置:強烈颱風 康芮(國際命名 KONG-REY)31日11時的中心位置在北緯 22.4 度,東經 121.7 度,即在臺東的東南東方約 70 公里之處。
  2. 強度與半徑:中心氣壓 925 百帕,近中心最大風速每秒 51 公尺(約每小時 184 公里),相當於 16 級風,瞬間最大陣風每秒 63 公尺(約每小時 227 公里),相當於 17 級風以上,七級風暴風半徑 320 公里,十級風暴風半徑 150 公里。
  3. 移速與預測:以每小時21公里速度,向北北西轉北北東進行,預測1日11時的中心位置在北緯 26.4 度,東經 120.3 度,即在馬祖的東北方約 50 公里之處。
  4. 颱風動態:根據最新資料顯示,第21號颱風中心目前在臺東東南東方近海,向北北西轉北北東移動,暴風圈正籠罩臺灣及澎湖,對臺灣各地及澎湖、金門、馬祖構成威脅,各地風雨持續增強。
  5. 警戒區域及事項:海上:臺灣附近各海面、巴士海峽及東沙島海面航行及作業船隻應嚴加戒備。陸上:臺灣各地區及澎湖、金門、馬祖應嚴加戒備,並防強風豪雨。
  6. 豪雨特報:颱風及其外圍環流影響,易有短延時強降雨,今(31)日花蓮縣地區及宜蘭縣、臺中市山區(和平區)有局部大豪雨或超大豪雨,宜蘭縣、臺東縣、臺北市地區及新北市山區、新竹縣山區有局部豪雨或大豪雨,新北市、桃園市、基隆市地區、恆春半島、蘭嶼、綠島及苗栗縣山區、南投縣山區、高雄市山區、屏東縣山區有局部大雨或豪雨,新竹及嘉義以南地區有局部大雨發生的機率,請注意雷擊及強陣風,山區嚴防坍方、落石、土石流及山洪暴發,低窪地區請慎防淹水,民眾應避免進入山區及河川活動。超大豪雨地區:宜蘭縣、花蓮縣、臺中市。大豪雨地區:臺北市、新北市、新竹縣、臺東縣。
  7. 注意事項:*今(31)日臺灣附近各海面及巴士海峽風浪明顯偏大,易有5米以上浪高,尤其東半部沿海可達10米以上、澎湖可達7米以上,各沿海並易有長浪發生,請避免前往海邊活動。*陸上強風特報:颱風影響,蘭嶼、綠島已有14級以上強陣風,今(31)日臺東地區及澎湖亦將有14級以上強陣風,新北至高雄及花蓮地區、宜蘭及屏東沿海空曠地區、恆春半島、馬祖有11級以上強陣風,基隆、臺北、南投、嘉義市、金門亦有9至10級強陣風,請特別注意。*室外懸掛物、招牌、圍籬及鷹架等應加強固牢,陽臺之盆景等應妥善放置,漲潮期間沿海低窪地區慎防海水倒灌及積淹水。*29日0時至31日11時出現較大雨量如下:宜蘭縣鴛鴦湖1022.5毫米,臺中市審馬陣608毫米,臺北市擎天崗592.5毫米,花蓮縣赤柯山435毫米,新竹縣白石420.5毫米,新北市水利署火燒寮370毫米,臺東縣樟原297毫米,基隆市國一S006K228毫米;較大陣風區域如下:蘭嶼、綠島17級以上,東吉島13級,花蓮、成功12級,新屋、臺東、彭佳嶼11級,後龍、臺南、宜蘭、大武、澎湖10級。*本警報單之颱風平均半徑約為320公里,詳細特性請參考本署颱風輔助說明(https:// [url]www.cwa.gov.tw/Data/typhoon/TY_PDF.pdf[/url])。
複製代碼
回復

使用道具 舉報

簽到天數: 5130 天

[LV.Master]伴壇終老

s6815711|2024-10-31 11:47 | 顯示全部樓層
SmartSelect_20241031-093500_Chrome.jpg


今天測得的較大陣風
蘭嶼一度再測得78.2m/s 之後測站故障
回復

使用道具 舉報

簽到天數: 3294 天

[LV.Master]伴壇終老

t02436|2024-10-31 12:21 | 顯示全部樓層
綠島已進入風眼,稍晚中心即將自台東成功至東河之間登陸。
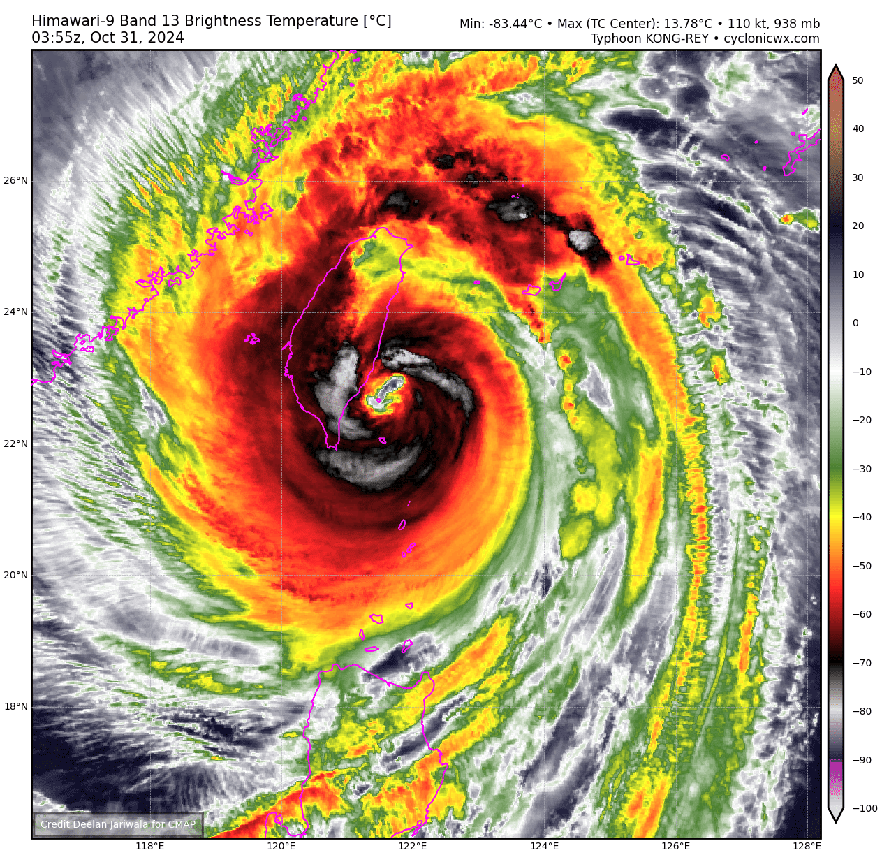
CV1_3600_202410311200.png
2421CWA.jpg
himawari9_vis_23W.gif
himawari9_23W_band13_202410310355.png
cira-rammb-slider---himawari---full_disk---geocolor-opacity-100---20241031035000.png
回復

使用道具 舉報

簽到天數: 12 天

[LV.3]偶爾看看II

ktf|2024-10-31 12:52 | 顯示全部樓層
WMBds243.png

可惜沒掃中全部,最強向限隨著登陸後會跟著移近來,風力會暴增
西部沿海風力已非常強勁

點評

桃園以南西半部也是同樣情形嗎?我以為登陸反而風場會被拉回去海上  發表於 2024-10-31 14:00
統計至13:00 陣風4個G17+ 蘭嶼74.1/合歡山69.8/綠島65/豐濱62.4 這次合歡山怎麼這麼誇張  發表於 2024-10-31 13:22
回復

使用道具 舉報

簽到天數: 3294 天

[LV.Master]伴壇終老

t02436|2024-10-31 14:09 | 顯示全部樓層
官方已發布訊息:

13:40登陸台東成功
2421CWAlandfall.jpg
himawari9_rbtop_23W.gif
CV1_3600_202410311340.png
CV1_TW_3600_202410311340.png
thunderstorm.gif
颱風動態
據最新資料顯示,第21號颱風中心已於今(31)日13時40分左右於臺東縣成功附近登陸,目前中心位置在臺東北北東方,未來將向北轉北北東移動,暴風圈正籠罩臺灣及澎湖,對臺灣各地及澎湖、金門、馬祖構成威脅,各地風雨持續中。

I10.png
回復

使用道具 舉報

該用戶從未簽到

kingchard2011|2024-10-31 14:40 | 顯示全部樓層
此文為自動發布
颱風警報報文資料建檔

CWA:

  1. 命名與位置:強烈颱風 康芮(國際命名 KONG-REY)31日14時的中心位置在北緯 23.1 度,東經 121.3 度,即在臺東的北北東方約 40 公里之處。
  2. 強度與半徑:中心氣壓 925 百帕,近中心最大風速每秒 51 公尺(約每小時 184 公里),相當於 16 級風,瞬間最大陣風每秒 63 公尺(約每小時 227 公里),相當於 17 級風以上,七級風暴風半徑 320 公里,十級風暴風半徑 150 公里。
  3. 移速與預測:以每小時17轉24公里速度,向北轉北北東進行,預測1日14時的中心位置在北緯 27.3 度,東經 120.8 度,即在馬祖的北北東方約 150 公里之處。
  4. 颱風動態:據最新資料顯示,第21號颱風中心已於今(31)日13時40分左右於臺東縣成功附近登陸,目前中心位置在臺東北北東方,未來將向北轉北北東移動,暴風圈正籠罩臺灣及澎湖,對臺灣各地及澎湖、金門、馬祖構成威脅,各地風雨持續中。
  5. 警戒區域及事項:海上:臺灣附近各海面、巴士海峽及東沙島海面航行及作業船隻應嚴加戒備。陸上:臺灣各地區及澎湖、金門、馬祖應嚴加戒備,並防強風豪雨。
  6. 豪雨特報:颱風影響,易有短延時強降雨,今(31)日花蓮縣、臺東縣地區及宜蘭縣山區、臺中市山區(和平區)、新竹縣山區(尖石鄉)有局部大豪雨或超大豪雨,宜蘭縣、臺北市、新北市地區及南投縣山區有局部豪雨或大豪雨,桃園市、基隆市地區、恆春半島、蘭嶼、綠島及苗栗縣山區、高雄市山區、屏東縣山區有局部大雨或豪雨,新竹及雲林以南地區有局部大雨發生的機率,請注意雷擊及強陣風,山區嚴防坍方、落石、土石流及山洪暴發,低窪地區請慎防淹水,民眾應避免進入山區及河川活動。超大豪雨地區:宜蘭縣、花蓮縣、臺東縣、新竹縣、臺中市。大豪雨地區:新北市、臺北市、南投縣。
  7. 注意事項:*今(31)日臺灣附近各海面及巴士海峽風浪明顯偏大,易有5米以上浪高,尤其東半部沿海可達10米以上、澎湖可達7米以上,各沿海並易有長浪發生,請避免前往海邊活動。*陸上強風特報:颱風影響,蘭嶼、綠島及臺東地區已有14級以上強陣風,今(31)日澎湖亦將有14級以上強陣風,新北至高雄及花蓮地區、宜蘭及屏東沿海空曠地區、恆春半島、馬祖有11級以上強陣風,基隆、臺北、南投、嘉義市、金門亦有9至10級強陣風,請特別注意。*室外懸掛物、招牌、圍籬及鷹架等應加強固牢,陽臺之盆景等應妥善放置,漲潮期間沿海低窪地區慎防海水倒灌及積淹水。*29日0時至31日14時出現較大雨量如下:宜蘭縣鴛鴦湖1085.5毫米,臺中市審馬陣695毫米,臺北市擎天崗630毫米,花蓮縣龍澗600.5毫米,新竹縣西丘斯山457毫米,新北市東山422毫米,臺東縣樟原308毫米,南投縣翠華292毫米,基隆市五堵281毫米,桃園市高坡國小249毫米;較大陣風區域如下:蘭嶼、綠島17級以上,成功15級,東吉島13級,花蓮12級,新屋、後龍、臺東、澎湖、彭佳嶼11級,新北、臺南、宜蘭、大武10級。*本警報單之颱風平均半徑約為320公里,詳細特性請參考本署颱風輔助說明(https:// [url]www.cwa.gov.tw/Data/typhoon/TY_PDF.pdf[/url])。
複製代碼
回復

使用道具 舉報

該用戶從未簽到

kingchard2011|2024-10-31 17:00 | 顯示全部樓層
此文為自動發布
熱帶氣旋報文資料建檔

CWA:

  1. ENG_NAME:KONG-REY
  2. 中文名:康芮

  3. INIT
  4.     TIME 2024-10-31 08:00 UTC
  5.     LAT: 23.4 N  LON: 120.6 E
  6.     MOVEMENT: NW 38 km/hr
  7.     MXWD: 51 m/s
  8.     GUST: 63 m/s
  9.     PRES: 925 hPa
  10.                
  11.     RADIUS OF OVER 15m/s WINDS: 320 km
  12.     - NE: 330 km
  13.     - SE: 320 km
  14.     - SW: 300 km
  15.     - NW: 330 km
  16.                     
  17.     RADIUS OF OVER 25m/s WINDS: 150 km
  18.     - NE: 150 km
  19.     - SE: 150 km
  20.     - SW: 150 km
  21.     - NW: 150 km
  22.                     
  23. +006
  24.     TIME 2024-10-31 12:00 UTC
  25.     LAT: 24.1 N  LON: 120.0 E
  26.     MOVEMENT: NW 29 km/hr
  27.     MXWD: 40 m/s
  28.     GUST: 50 m/s
  29.     PRES: 950 hPa
  30.                
  31. +012
  32.     TIME 2024-10-31 18:00 UTC
  33.     LAT: 25.0 N  LON: 120.0 E
  34.     MOVEMENT: N 17 km/hr
  35.     MXWD: 33 m/s
  36.     GUST: 43 m/s
  37.     PRES: 970 hPa
  38.                
  39. +018
  40.     TIME 2024-11-01 00:00 UTC
  41.     LAT: 26.1 N  LON: 120.2 E
  42.     MOVEMENT: N 21 km/hr
  43.     MXWD: 25 m/s
  44.     GUST: 33 m/s
  45.     PRES: 985 hPa
  46.                
  47. +024
  48.     TIME 2024-11-01 06:00 UTC
  49.     LAT: 27.3 N  LON: 120.8 E
  50.     MOVEMENT: NNE 24 km/hr
  51.     MXWD: 23 m/s
  52.     GUST: 30 m/s
  53.     PRES: 988 hPa
  54.                
  55. +036
  56.     TIME 2024-11-01 18:00 UTC
  57.     LAT: 29.8 N  LON: 123.3 E
  58.     MOVEMENT: NE 31 km/hr
  59.     MXWD: 18 m/s
  60.     GUST: 25 m/s
  61.     PRES: 998 hPa
  62.                
  63. +048
  64.     TIME 2024-11-02 06:00 UTC
  65.     LAT: 30.3 N  LON: 126.7 E
  66.     MOVEMENT: E 28 km/hr
  67.     MXWD: 15 m/s
  68.     GUST: 23 m/s
  69.     PRES: 1000 hPa
  70.                
複製代碼


JMA
  1. WTPQ51 RJTD 310600
  2. RSMC TROPICAL CYCLONE ADVISORY
  3. NAME  TY 2421 KONG-REY (2421)
  4. ANALYSIS
  5. PSTN  310600UTC 23.2N 121.3E GOOD
  6. MOVE  NNW 15KT
  7. PRES  955HPA
  8. MXWD  085KT
  9. GUST  120KT
  10. 50KT  90NM
  11. 30KT  240NM
  12. FORECAST
  13. 12HF  311800UTC 25.0N 120.1E 25NM 70%
  14. MOVE  N 10KT
  15. PRES  992HPA
  16. MXWD  050KT
  17. GUST  070KT
  18. 24HF  010600UTC 27.8N 121.0E 35NM 70%
  19. MOVE  NNE 15KT
  20. PRES  998HPA
  21. MXWD  040KT
  22. GUST  060KT
  23. 48HF  020600UTC 31.3N 128.7E 85NM 70% EXTRATROPICAL LOW =


複製代碼
回復

使用道具 舉報

該用戶從未簽到

kingchard2011|2024-10-31 17:40 | 顯示全部樓層
此文為自動發布
颱風警報報文資料建檔

CWA:

  1. 命名與位置:中度颱風 康芮(國際命名 KONG-REY)31日17時的中心位置在北緯 23.6 度,東經 120.3 度,即在嘉義的西北方約 20 公里之處。
  2. 強度與半徑:中心氣壓 945 百帕,近中心最大風速每秒 43 公尺(約每小時 155 公里),相當於 14 級風,瞬間最大陣風每秒 53 公尺(約每小時 191 公里),相當於 16 級風,七級風暴風半徑 280 公里,十級風暴風半徑 100 公里。
  3. 移速與預測:以每小時21轉31公里速度,向北轉北北東進行,預測1日17時的中心位置在北緯 28.5 度,東經 121.6 度,即在馬祖的北北東方約 310 公里之處。
  4. 颱風動態:據最新資料顯示,第21號颱風已減弱為中度颱風,暴風圈亦略為縮小,目前中心位置在嘉義西北方,未來將向北轉北北東移動,暴風圈正籠罩臺灣及澎湖、金門、馬祖,各地風雨持續中。
  5. 警戒區域及事項:海上:臺灣附近各海面、巴士海峽及東沙島海面航行及作業船隻應嚴加戒備。陸上:臺灣各地區及澎湖、金門、馬祖應嚴加戒備,並防強風豪雨。
  6. 豪雨特報:颱風影響,易有短延時強降雨,今(31)日花蓮縣、臺東縣地區及宜蘭縣山區、南投縣山區、臺中市山區(和平區)、新竹縣山區(尖石鄉)有局部大豪雨或超大豪雨,宜蘭縣、臺北市、新北市地區有局部豪雨或大豪雨,桃園市、基隆市地區、恆春半島、蘭嶼、綠島及苗栗縣山區、高雄市山區、屏東縣山區有局部大雨或豪雨,新竹以南地區及馬祖有局部大雨發生的機率,請注意雷擊及強陣風,山區嚴防坍方、落石、土石流及山洪暴發,低窪地區請慎防淹水,民眾應避免進入山區及河川活動。超大豪雨地區:新竹縣、臺中市、南投縣、宜蘭縣、花蓮縣、臺東縣。大豪雨地區:新北市、臺北市。
  7. 注意事項:*今(31日)晚至明(11月1)日臺灣附近各海面及巴士海峽風浪明顯偏大,並有長浪發生,易有5米以上浪高,尤其今晚東半部沿海可達10米以上、澎湖可達7米以上,請避免前往海邊活動。*陸上強風特報:颱風影響,花蓮、臺東(含蘭嶼、綠島)及澎湖已有14級以上強陣風,今(31日)晚至明(11月1日)晨澎湖易有14級以上強陣風,苗栗至臺南、臺東地區及新北至新竹、高雄、宜蘭、花蓮沿海空曠地區、恆春半島、馬祖、蘭嶼、綠島有11級以上強陣風,基隆至新竹、南投、嘉義市、高雄、屏東、宜蘭、花蓮及金門亦有9至10級強陣風,請特別注意;明上午馬祖仍有11級以上強陣風,雲林以北、東半部沿海空曠地區及澎湖、蘭嶼、綠島亦有9至10級強陣風,其他地區亦有較強陣風,請注意。*室外懸掛物、招牌、圍籬及鷹架等應加強固牢,陽臺之盆景等應妥善放置,漲潮期間沿海低窪地區慎防海水倒灌及積淹水。*29日0時至31日17時出現較大雨量如下:宜蘭縣鴛鴦湖1131毫米,花蓮縣赤柯山827毫米,臺中市審馬陣788.5毫米,臺北市擎天崗645毫米,新竹縣西丘斯山497毫米,新北市東山461毫米,臺東縣北源412毫米,南投縣奧萬大357.5毫米,基隆市國一S006K317毫米,桃園市高坡國小300毫米,屏東縣大漢山217.5毫米,高雄市溪南203毫米;較大陣風區域如下:蘭嶼、綠島17級以上,成功15級,東吉島14級,新屋、後龍、花蓮、彭佳嶼12級,新北、臺東、澎湖11級,基隆、臺北、新竹、臺南、宜蘭、大武、金門10級。*本警報單之颱風平均半徑約為280公里,詳細特性請參考本署颱風輔助說明(https:// [url]www.cwa.gov.tw/Data/typhoon/TY_PDF.pdf[/url])。
複製代碼
回復

使用道具 舉報

快速回覆
您需要登錄後才可以回帖 登錄 | 立即加入

本版積分規則

本平台僅供學術討論之用,預報應以氣象局為準

威普網站虛擬主機贊助公司

臺灣第一個天氣類型社群平台 即時天氣資訊、精準颱風動態

線上客服
FB傳送訊息
廣告行銷
精準行銷 物超所值
官方粉專
發佈 快速回復 返回頂部 返回列表